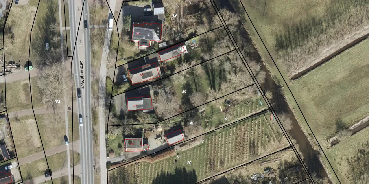
Perceel: PZE00-H-92
KadastraleKaart.com kan meer dan je denktOntdek meer ›
Filter op bestemming 50+ datasets Eigendomsdata in één klik Percelen CRM
1.580 m2 - 194 m
Eigenaar opvragen
PZE00-H-92 (Peize)
- 9321 TE
Ag9 Z8Xd2XgCEpnUpgrade naar KadastraleKaart Pro
Verkoopprijs opvragen
Bekijk op Street View
Download DWG/DXF/Excel
I2 H36NVUpgrade naar KadastraleKaart Pro
PWBJ YjXTUpgrade naar KadastraleKaart Pro
Tg5lP DduwNUR3aLUpgrade naar KadastraleKaart Pro
6 FLXGd RUpgrade naar KadastraleKaart Pro
02oT8s7DhTq1XDvfK11Upgrade naar KadastraleKaart Pro
hJVajxYoOxdnHOMLNgUpgrade naar KadastraleKaart Pro
wLch4IQLqED3dvjZopCUpgrade naar KadastraleKaart Pro
dP4D16urqsT 5dW3DyIFUpgrade naar KadastraleKaart Pro
Cmiv uSTmj5JCgUpgrade naar KadastraleKaart Pro
iqu5OZF4IId Upgrade naar KadastraleKaart Pro
17/02/2006

Percelen
Gebruik de zoekbalk of klik op een perceel om informatie over het perceel te bekijken.