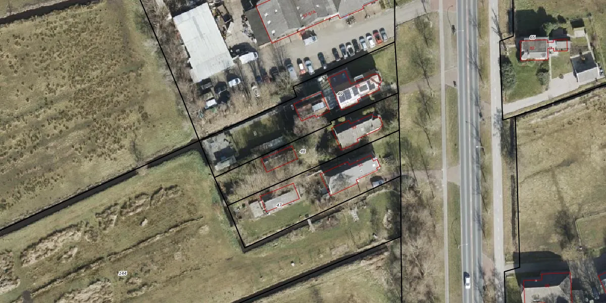
Perceel: PZE00-L-48
KadastraleKaart.com kan meer dan je denktOntdek meer ›
Filter op bestemming 50+ datasets Eigendomsdata in één klik Percelen CRM
700 m2 - 152 m
Eigenaar opvragen
PZE00-L-48 (Peize)
- 9321 TB
8mmyVQBz4uJfRa6gNJGTjW KGUpgrade naar KadastraleKaart Pro
Verkoopprijs opvragen
Bekijk op Street View
Download DWG/DXF/Excel
8uV vkAKiGUpgrade naar KadastraleKaart Pro
mW YhnT215Vr6 E73m8uHUpgrade naar KadastraleKaart Pro
UJ1RL4ksIzyrE5Upgrade naar KadastraleKaart Pro
QaiBNT o qYXiNm65WxGUpgrade naar KadastraleKaart Pro
BwI9oyI0IloUpgrade naar KadastraleKaart Pro
z7MyOzteRHdIGgIiT8 dAo0Upgrade naar KadastraleKaart Pro
ui0zcgLGHb1LmUpgrade naar KadastraleKaart Pro
CLU6sWDpUpgrade naar KadastraleKaart Pro
HI7M hT3VEPcx 2Upgrade naar KadastraleKaart Pro
Caa IvE8WgTskD yJUpgrade naar KadastraleKaart Pro
18/03/2013

Percelen
Gebruik de zoekbalk of klik op een perceel om informatie over het perceel te bekijken.