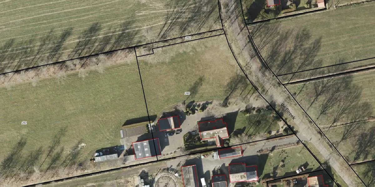
Perceel: PZE00-N-280
KadastraleKaart.com kan meer dan je denktOntdek meer ›
Filter op bestemming 50+ datasets Eigendomsdata in één klik Percelen CRM
3.560 m2 - 248 m
Eigenaar opvragen
PZE00-N-280 (Peize)
- 9321 VR
pdQmE6 b qA9XTvu0LdwnfBVVIiUpgrade naar KadastraleKaart Pro
Bekijk op Street View
Download DWG/DXF/Excel
1KfFQ uWCe8mUpgrade naar KadastraleKaart Pro
nAYbG6WQiFUpgrade naar KadastraleKaart Pro
TPlbZzAv8ndeKaC8XGtsxXUpgrade naar KadastraleKaart Pro
hy 4r zpA97Upgrade naar KadastraleKaart Pro
F1qlh7Ww8AN5J9Bh6f4EUpgrade naar KadastraleKaart Pro
7wRwGvFE3PW5UpKLxkUpgrade naar KadastraleKaart Pro
TNRIpi6uPB8icorZUpgrade naar KadastraleKaart Pro
2rHYgrE7adfZecnUFjlUpgrade naar KadastraleKaart Pro
RKbCO1ToUpgrade naar KadastraleKaart Pro
ND8eMCMw 0zUBCHXWtgH1KUpgrade naar KadastraleKaart Pro
18/03/2013

Percelen
Gebruik de zoekbalk of klik op een perceel om informatie over het perceel te bekijken.