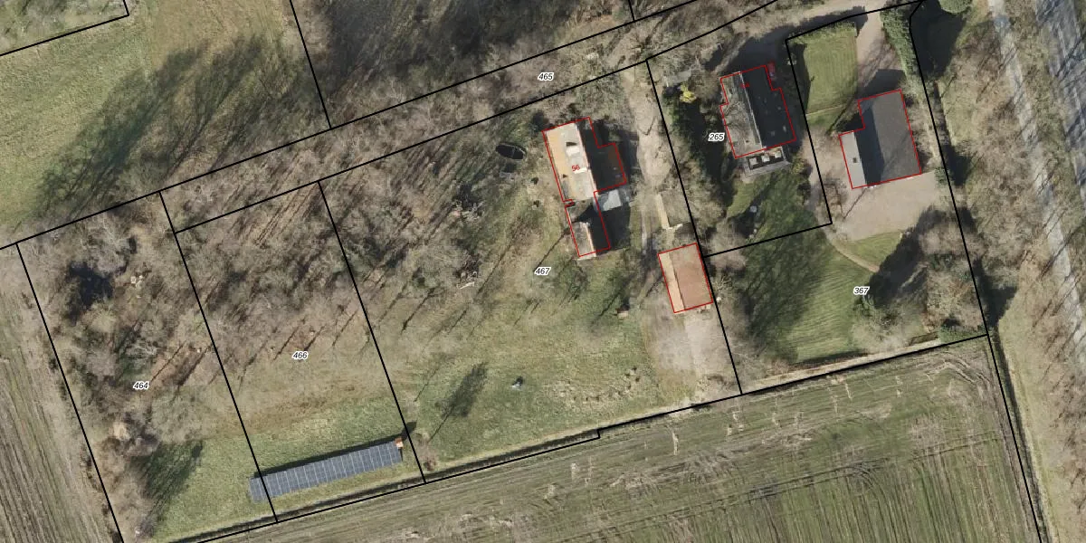
Perceel: PZE00-N-467
KadastraleKaart.com kan meer dan je denktOntdek meer ›
Filter op bestemming 50+ datasets Eigendomsdata in één klik Percelen CRM
3.835 m2 - 250 m
Eigenaar opvragen
PZE00-N-467 (Peize)
- 9321 VZ
vtGDb1Wki f1 4Sxr Upgrade naar KadastraleKaart Pro
Verkoopprijs opvragen
Bekijk op Street View
Download DWG/DXF/Excel
hpQ1GXPQ 4KY48QFglUpgrade naar KadastraleKaart Pro
OWlqhglsDFx8U28Mj4Upgrade naar KadastraleKaart Pro
oGhgv AF jmCNOeNwv 89Upgrade naar KadastraleKaart Pro
TQMj5LO0fDUPzefrdj jUpgrade naar KadastraleKaart Pro
0fAreEb6tUpgrade naar KadastraleKaart Pro
VYB6v0b 6GUpgrade naar KadastraleKaart Pro
YkqSQwCILup9x8dzyUpgrade naar KadastraleKaart Pro
LQUC uFYm4qWc3XVNNTg3Upgrade naar KadastraleKaart Pro
kXtXrvEiVGp PdVz XrGUpgrade naar KadastraleKaart Pro
WDGmdQ0B2beViixHUpgrade naar KadastraleKaart Pro
02/07/2021

Percelen
Gebruik de zoekbalk of klik op een perceel om informatie over het perceel te bekijken.