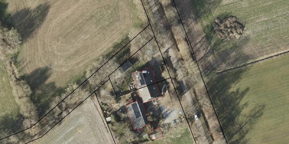
Perceel: PZE00-O-296
KadastraleKaart.com kan meer dan je denktOntdek meer ›
Filter op bestemming 50+ datasets Eigendomsdata in één klik Percelen CRM
916 m2 - 128 m
Eigenaar opvragen
PZE00-O-296 (Peize)
- 9321 XK
b j F Uru9 DmHxnUpgrade naar KadastraleKaart Pro
Verkoopprijs opvragen
Bekijk op Street View
Download DWG/DXF/Excel
5uLym4ZzWYABUpgrade naar KadastraleKaart Pro
pK1uENQfa7Prp17N07Upgrade naar KadastraleKaart Pro
LFVLGU4Upgrade naar KadastraleKaart Pro
ZaOwpc jUpgrade naar KadastraleKaart Pro
7 GL NO2d 9JJdHEUpgrade naar KadastraleKaart Pro
nWHTgg LVxtNxx9i7Upgrade naar KadastraleKaart Pro
f4xzyGlwCZvUpgrade naar KadastraleKaart Pro
vvQrTj4Upgrade naar KadastraleKaart Pro
M cMjnxEtj7gQwDmU7Upgrade naar KadastraleKaart Pro
14i81cC H QY MFWgSwKUpgrade naar KadastraleKaart Pro
18/03/2013

Percelen
Gebruik de zoekbalk of klik op een perceel om informatie over het perceel te bekijken.