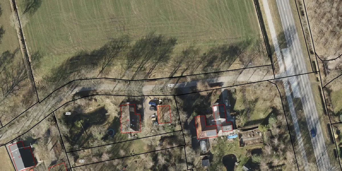
Perceel: PZE00-O-367
KadastraleKaart.com kan meer dan je denktOntdek meer ›
Filter op bestemming 50+ datasets Eigendomsdata in één klik Percelen CRM
Geen adressen bij dit perceel
4.165 m2 - 857 m
Eigenaar opvragen
PZE00-O-367 (Peize)
- Geen postcode aanwezig
NokhnEV4mquwN3wSW1z92ucs zHUpgrade naar KadastraleKaart Pro
Bekijk op Street View
Download DWG/DXF/Excel
H1mfB6KwESU7xnUpgrade naar KadastraleKaart Pro
OHHHQglbxoK3SUpgrade naar KadastraleKaart Pro
S17Q m 0XgJjbQpLaImzMqUpgrade naar KadastraleKaart Pro
p7Qv upMgMpBUpgrade naar KadastraleKaart Pro
pVX1rDCeUr5dUpgrade naar KadastraleKaart Pro
0vO QmdIUpgrade naar KadastraleKaart Pro
RqL Vx LQpVH Mh9tqvAUpgrade naar KadastraleKaart Pro
ATVDmM7Iw opx3HeE2Upgrade naar KadastraleKaart Pro
JITiB ePbRoGMlUpgrade naar KadastraleKaart Pro
BUHRqIzJgUqqrXysrOYUpgrade naar KadastraleKaart Pro
04/06/2014

Percelen
Gebruik de zoekbalk of klik op een perceel om informatie over het perceel te bekijken.