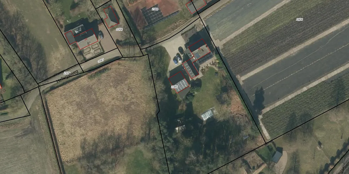
Perceel: RBG01-C-2385
KadastraleKaart.com kan meer dan je denktOntdek meer ›
Filter op bestemming 50+ datasets Eigendomsdata in één klik Percelen CRM
3.830 m2 - 269 m
Eigenaar opvragen
RBG01-C-2385 (Rijsbergen)
- 4891 ST
vtKk wEcXyv4 ozTQK fDXMKeJUpgrade naar KadastraleKaart Pro
Verkoopprijs opvragen
Bekijk op Street View
Download DWG/DXF/Excel
s 4 78HibYgocVg6Upgrade naar KadastraleKaart Pro
Ea4okRtO D 2FFswkYUpgrade naar KadastraleKaart Pro
wqxKzAFnhdi EUpgrade naar KadastraleKaart Pro
yCKlXQtMCcSHI0i4iUpgrade naar KadastraleKaart Pro
r4O4pA343KAYos1Zi Upgrade naar KadastraleKaart Pro
IhqPY338loJYaVw3tKS Upgrade naar KadastraleKaart Pro
Mk9qeUCrceVQ wwPQ3B Upgrade naar KadastraleKaart Pro
1TxCA VZ 7mQ BpzUpgrade naar KadastraleKaart Pro
IXywIAYnFuzAxEaJuOFUpgrade naar KadastraleKaart Pro
iG jG1JAOoA9sm 81mnUuUpgrade naar KadastraleKaart Pro
26/04/2012

Percelen
Gebruik de zoekbalk of klik op een perceel om informatie over het perceel te bekijken.