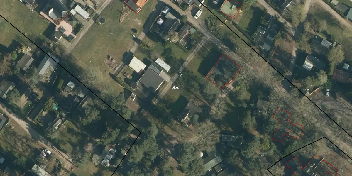
Perceel: RBG01-G-1414
KadastraleKaart.com kan meer dan je denktOntdek meer ›
Filter op bestemming 50+ datasets Eigendomsdata in één klik Percelen CRM
42.855 m2 - 1.443 m
Eigenaar opvragen
RBG01-G-1414 (Rijsbergen)
- 4891 PL
p0aZu8inTE8d2 ujUpgrade naar KadastraleKaart Pro
Bekijk op Street View
Download DWG/DXF/Excel
wngyVp5P05tN6Upgrade naar KadastraleKaart Pro
q6UxYDDpUpgrade naar KadastraleKaart Pro
pldLMoBJ8eZCkZyetwZUpgrade naar KadastraleKaart Pro
ut6EKF16sUpgrade naar KadastraleKaart Pro
NSzQIqYxUpgrade naar KadastraleKaart Pro
dpfQOOX3OygUpgrade naar KadastraleKaart Pro
ME9tNJ NAJk4Pkx 8uLUpgrade naar KadastraleKaart Pro
x hnqkhb2Upgrade naar KadastraleKaart Pro
3qFS8ayWsSuO JJUpgrade naar KadastraleKaart Pro
AHtk6ZOvFTUpgrade naar KadastraleKaart Pro
27/10/2015

Percelen
Gebruik de zoekbalk of klik op een perceel om informatie over het perceel te bekijken.