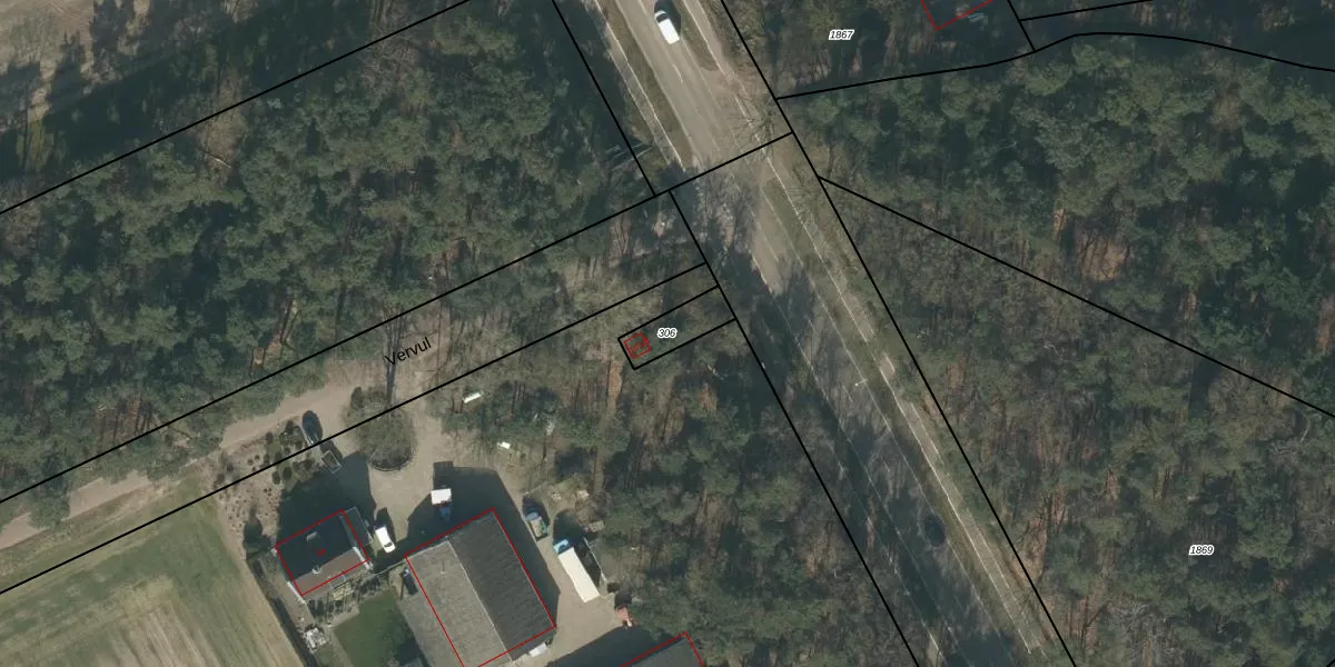
Perceel: RBG01-I-306
KadastraleKaart.com kan meer dan je denktOntdek meer ›
Filter op bestemming 50+ datasets Eigendomsdata in één klik Percelen CRM
80 m2 - 45 m
Eigenaar opvragen
RBG01-I-306 (Rijsbergen)
- 4891 SX
hEy69PIkWJxc2knsX1mNkjAEu6utGUpgrade naar KadastraleKaart Pro
Bekijk op Street View
Download DWG/DXF/Excel
AnQNJoBRclUpgrade naar KadastraleKaart Pro
06DEsBhuFHCJUpgrade naar KadastraleKaart Pro
PCmmy8lj3 35JfXnrCktoUpgrade naar KadastraleKaart Pro
8WB74We1yUpgrade naar KadastraleKaart Pro
P4ZM0 evSsVUpgrade naar KadastraleKaart Pro
5sX7YD98XN LkF6TEDeIUpgrade naar KadastraleKaart Pro
3iaZ6SMpJALdAuul aMSgUpgrade naar KadastraleKaart Pro
l6NM4Fr h X1yF4h9wbQUpgrade naar KadastraleKaart Pro
43BstDRVhVTGUpgrade naar KadastraleKaart Pro
39 C YTbqys mpLUpgrade naar KadastraleKaart Pro
27/10/2015

Percelen
Gebruik de zoekbalk of klik op een perceel om informatie over het perceel te bekijken.