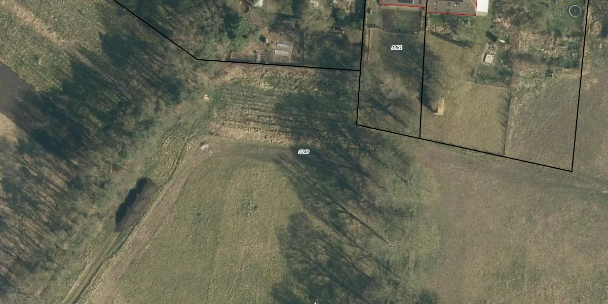
Perceel: RBG01-K-1246
KadastraleKaart.com kan meer dan je denktOntdek meer ›
Filter op bestemming 50+ datasets Eigendomsdata in één klik Percelen CRM
Geen adressen bij dit perceel
29.425 m2 - 1.042 m
Eigenaar opvragen
RBG01-K-1246 (Rijsbergen)
- Geen postcode aanwezig
IvCeMl paYJMaTn rAoLQ g0sRTUpgrade naar KadastraleKaart Pro
Bekijk op Street View
Download DWG/DXF/Excel
y wU Ip7s dJPJUpgrade naar KadastraleKaart Pro
VzAcAAVTUpgrade naar KadastraleKaart Pro
qJ7BvxWRUQktyrLweS9TUpgrade naar KadastraleKaart Pro
kP2hwMWgF CUO sTUgelqUpgrade naar KadastraleKaart Pro
1zTd3mndbUpgrade naar KadastraleKaart Pro
E ZxQNQgn1Upgrade naar KadastraleKaart Pro
k4plz0qCUaUpgrade naar KadastraleKaart Pro
Fs2Fdn5GErh6 QwR9Upgrade naar KadastraleKaart Pro
m famEwg l9bv2n hpjMH3Upgrade naar KadastraleKaart Pro
a04Q1vqBA Uao HuyJKVUpgrade naar KadastraleKaart Pro
08/05/2024

Percelen
Gebruik de zoekbalk of klik op een perceel om informatie over het perceel te bekijken.