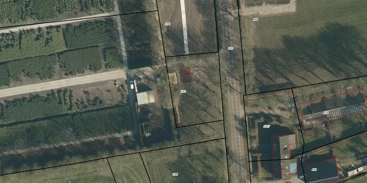
Perceel: RBG01-K-292
KadastraleKaart.com kan meer dan je denktOntdek meer ›
Filter op bestemming 50+ datasets Eigendomsdata in één klik Percelen CRM
985 m2 - 132 m
Eigenaar opvragen
RBG01-K-292 (Rijsbergen)
- 4891 PG
Ca YeWnw vNLviLMffdfFDUpgrade naar KadastraleKaart Pro
Bekijk op Street View
Download DWG/DXF/Excel
mXqOMMvNLVj0ga8TWUpgrade naar KadastraleKaart Pro
ItIICdcRvjUUpgrade naar KadastraleKaart Pro
ZboaoYwWudwzjUpgrade naar KadastraleKaart Pro
TV2JZbijqq3Upgrade naar KadastraleKaart Pro
KopJo bKre6w3m7Lxbd8JUpgrade naar KadastraleKaart Pro
YQdeV rHHxAUpgrade naar KadastraleKaart Pro
hnPrrRbyysjnt9Lw aS8Upgrade naar KadastraleKaart Pro
IgLmiwHi XLW PUpgrade naar KadastraleKaart Pro
380HElvk qUpgrade naar KadastraleKaart Pro
9Y7Oj0FMj Upgrade naar KadastraleKaart Pro
27/10/2015

Percelen
Gebruik de zoekbalk of klik op een perceel om informatie over het perceel te bekijken.