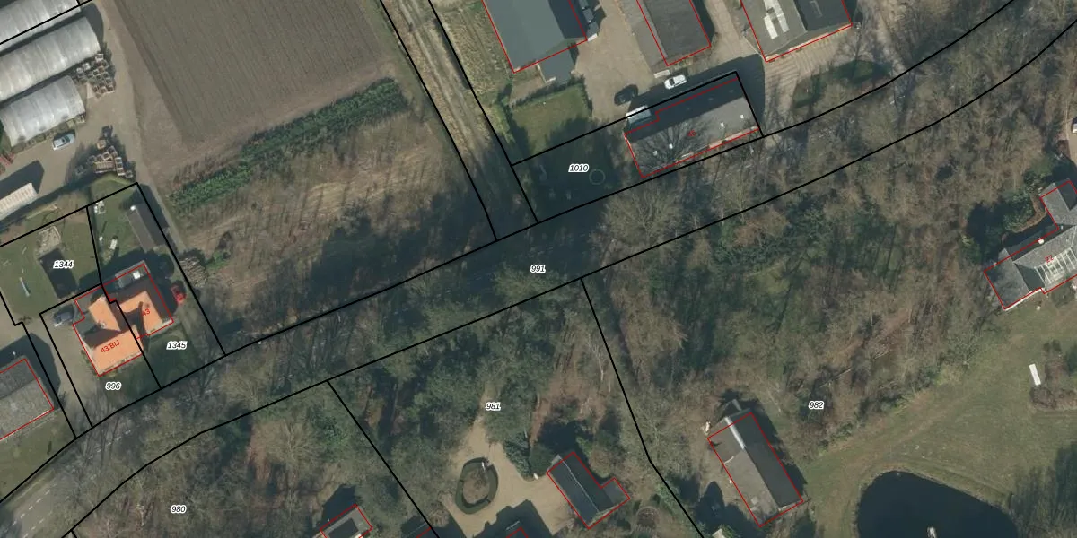
Perceel: RBG01-K-991
KadastraleKaart.com kan meer dan je denktOntdek meer ›
Filter op bestemming 50+ datasets Eigendomsdata in één klik Percelen CRM
Geen adressen bij dit perceel
4.075 m2 - 691 m
Eigenaar opvragen
RBG01-K-991 (Rijsbergen)
- Geen postcode aanwezig
N yubSksAXPhQ CElJ2fljqFSU4aZx Upgrade naar KadastraleKaart Pro
Bekijk op Street View
Download DWG/DXF/Excel
i6tymfTm8frUpgrade naar KadastraleKaart Pro
1JolO nKzR9lP2iKpJTrArAUpgrade naar KadastraleKaart Pro
mgkhIg0x Upgrade naar KadastraleKaart Pro
S4GdyFwMn2HZUpgrade naar KadastraleKaart Pro
oa7qa3YFL0JTUpgrade naar KadastraleKaart Pro
uH C7ubk5pPnUpgrade naar KadastraleKaart Pro
BMorpIutvfj8d5vUpgrade naar KadastraleKaart Pro
6 4VzNQEejzo38ILuoHHwEaUpgrade naar KadastraleKaart Pro
npneNz5 6ckmdUpgrade naar KadastraleKaart Pro
PMZlWQiyQUpgrade naar KadastraleKaart Pro
27/10/2015

Percelen
Gebruik de zoekbalk of klik op een perceel om informatie over het perceel te bekijken.