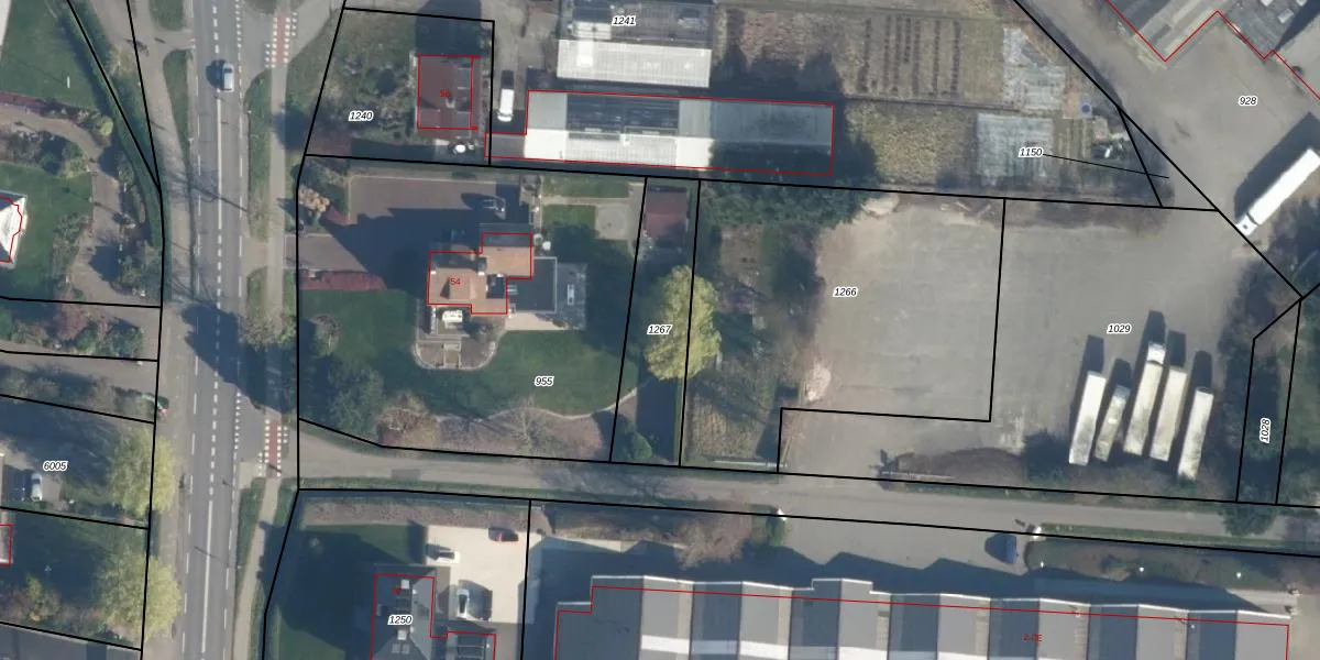
Perceel: RBG02-A-1267
KadastraleKaart.com kan meer dan je denktOntdek meer ›
Filter op bestemming 50+ datasets Eigendomsdata in één klik Percelen CRM
Geen adressen bij dit perceel
408 m2 - 106 m
Eigenaar opvragen
RBG02-A-1267 (Rijnsburg)
- Geen postcode aanwezig
Ayf 0ld1euadZ8H517Upgrade naar KadastraleKaart Pro
Bekijk op Street View
Download DWG/DXF/Excel
1rlOsblKI6R bGZTbeUpgrade naar KadastraleKaart Pro
bMm7cWks47ZhUpgrade naar KadastraleKaart Pro
ltuVapRRPbk UeLXKUpgrade naar KadastraleKaart Pro
D0A98yPFKHVJzzJYEUpgrade naar KadastraleKaart Pro
cw7YW4A8 9DBUpgrade naar KadastraleKaart Pro
wRD zU Tjc2KxHhmv 3Upgrade naar KadastraleKaart Pro
tz8U9xej8wzV8Wb Ai OtUpgrade naar KadastraleKaart Pro
vX2ppfonNruD5pUpgrade naar KadastraleKaart Pro
FyuF0 nCNvR VNvUpgrade naar KadastraleKaart Pro
uyxZP WsUpgrade naar KadastraleKaart Pro
27/11/2007

Percelen
Gebruik de zoekbalk of klik op een perceel om informatie over het perceel te bekijken.