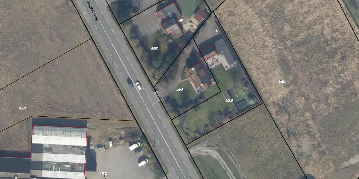
Perceel: RBG02-B-4578
KadastraleKaart.com kan meer dan je denktOntdek meer ›
Filter op bestemming 50+ datasets Eigendomsdata in één klik Percelen CRM
870 m2 - 122 m
Eigenaar opvragen
RBG02-B-4578 (Rijnsburg)
- 2231 NM
aWei s1lrtc2dYjilybrYUpgrade naar KadastraleKaart Pro
Bekijk op Street View
Download DWG/DXF/Excel
8M MHUEBUpgrade naar KadastraleKaart Pro
X1zVSK ZfTrrVL bvRsx2 Upgrade naar KadastraleKaart Pro
ap3Wg thpXCUUpgrade naar KadastraleKaart Pro
KsAQB R9 BORcDTcxAi9cm9Upgrade naar KadastraleKaart Pro
ycIPR8ngUpgrade naar KadastraleKaart Pro
HgN9U9ehPLg2A7e Upgrade naar KadastraleKaart Pro
OP670xqw9nM24QHEuUpgrade naar KadastraleKaart Pro
WvgKECIhV61jJQUpgrade naar KadastraleKaart Pro
qP H1 J20884BSUpgrade naar KadastraleKaart Pro
VENfK WP MUpgrade naar KadastraleKaart Pro
17/11/2005

Percelen
Gebruik de zoekbalk of klik op een perceel om informatie over het perceel te bekijken.