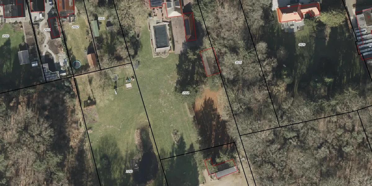
Perceel: RDE00-R-2554
KadastraleKaart.com kan meer dan je denktOntdek meer ›
Filter op bestemming 50+ datasets Eigendomsdata in één klik Percelen CRM
5.256 m2 - 657 m
Eigenaar opvragen
RDE00-R-2554 (Rolde)
- 9451 AA
cuYcVIIDwDWVGJ2O dIO2zT24SIsbpOUpgrade naar KadastraleKaart Pro
Bekijk op Street View
Download DWG/DXF/Excel
WrK jvwHvSz3 Upgrade naar KadastraleKaart Pro
bTsg3QypndePg0AAxe3hwn Upgrade naar KadastraleKaart Pro
H6l36CGAe8AHIKy ADcUpgrade naar KadastraleKaart Pro
ArBPmtiX301sUpgrade naar KadastraleKaart Pro
XKekIePlSk ZUpgrade naar KadastraleKaart Pro
cg6lZ6uHU4CrS33AVZcwDyyUpgrade naar KadastraleKaart Pro
Gq9WcdRvFzUpgrade naar KadastraleKaart Pro
hvcObMnfUpgrade naar KadastraleKaart Pro
Awo2S2CyO5e3H9LIpLC E74Upgrade naar KadastraleKaart Pro
uG7WEHtOrqC 0jrspOBT6LUpgrade naar KadastraleKaart Pro
27/03/2001

Percelen
Gebruik de zoekbalk of klik op een perceel om informatie over het perceel te bekijken.