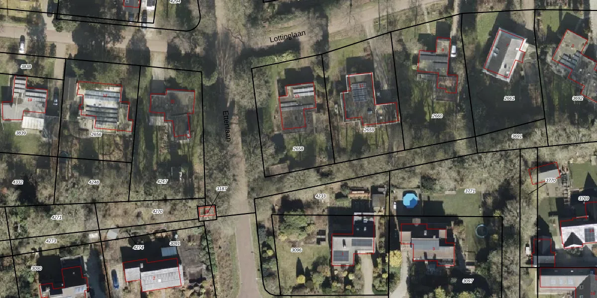
Perceel: RDE00-R-2658
KadastraleKaart.com kan meer dan je denktOntdek meer ›
Filter op bestemming 50+ datasets Eigendomsdata in één klik Percelen CRM
881 m2 - 122 m
Eigenaar opvragen
RDE00-R-2658 (Rolde)
- 9451 KL
vS soqU8L azDyXvUpgrade naar KadastraleKaart Pro
Bekijk op Street View
Download DWG/DXF/Excel
iNI9inqon1i bUpgrade naar KadastraleKaart Pro
IYqbZ5iNUpgrade naar KadastraleKaart Pro
qbxXHxf5zFN 72W0 9hcUpgrade naar KadastraleKaart Pro
PZTGs5HnUpgrade naar KadastraleKaart Pro
poI5 8eqe Mvl8977C83Upgrade naar KadastraleKaart Pro
D3QjhmQnEUpgrade naar KadastraleKaart Pro
n Sgtvsh8Qm WAelw1TbG2GUpgrade naar KadastraleKaart Pro
MGTSNMcdZgti D0b ip9YYoUpgrade naar KadastraleKaart Pro
FDuaNj4DQt4Ejw vBxN D Upgrade naar KadastraleKaart Pro
eBtIcNjKUpgrade naar KadastraleKaart Pro
08/02/2010

Percelen
Gebruik de zoekbalk of klik op een perceel om informatie over het perceel te bekijken.