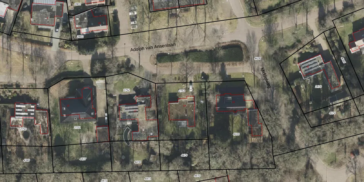
Perceel: RDE00-R-2753
KadastraleKaart.com kan meer dan je denktOntdek meer ›
Filter op bestemming 50+ datasets Eigendomsdata in één klik Percelen CRM
853 m2 - 117 m
Eigenaar opvragen
RDE00-R-2753 (Rolde)
- 9451 GR
wXLrQFWYlfHpKeYd0PZavaZQviUpgrade naar KadastraleKaart Pro
Bekijk op Street View
Download DWG/DXF/Excel
QpWQlvhBmfYR ch B 0pk7Upgrade naar KadastraleKaart Pro
706wC BQ blcsicTKDqmSeUpgrade naar KadastraleKaart Pro
EFO ahMUDqqFrp4Upgrade naar KadastraleKaart Pro
GoYmo8AKUpgrade naar KadastraleKaart Pro
io yrsFx2WgK4j3oFDUpgrade naar KadastraleKaart Pro
5 JAqK qi uIQj2Upgrade naar KadastraleKaart Pro
vP bFqYl90SO9Upgrade naar KadastraleKaart Pro
6rptt2 q23ULyUpgrade naar KadastraleKaart Pro
Eb ZbZvF4PPXNUpgrade naar KadastraleKaart Pro
Ub0Am IUi5DaojNyUpgrade naar KadastraleKaart Pro
12/11/2007

Percelen
Gebruik de zoekbalk of klik op een perceel om informatie over het perceel te bekijken.