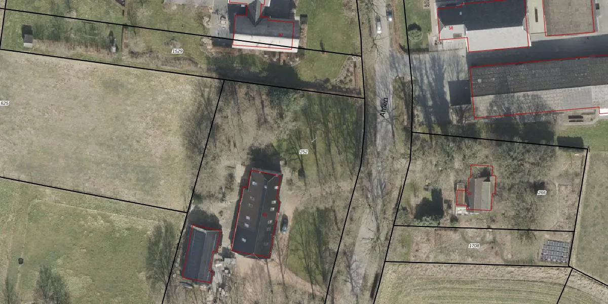
Perceel: RDE00-U-252
KadastraleKaart.com kan meer dan je denktOntdek meer ›
Filter op bestemming 50+ datasets Eigendomsdata in één klik Percelen CRM
4.296 m2 - 269 m
Eigenaar opvragen
RDE00-U-252 (Rolde)
- 9446 PB
cdPuOG6l1M aq2Qm pbUpgrade naar KadastraleKaart Pro
Verkoopprijs opvragen
Bekijk op Street View
Download DWG/DXF/Excel
1 qdrSXQGN0yhK6PkjObGbUpgrade naar KadastraleKaart Pro
4L Dw5JJNN7aUpgrade naar KadastraleKaart Pro
Sc1M7CijtUpgrade naar KadastraleKaart Pro
Fh0WWet9pDXmwUqaUpgrade naar KadastraleKaart Pro
RxXThXDNPxteLUpgrade naar KadastraleKaart Pro
t9kDsvmIqc0IL C9RUpgrade naar KadastraleKaart Pro
JpeX Vxm7ZeDTXQeUpgrade naar KadastraleKaart Pro
tmRW6EmslcKTE q ogWrbmgUpgrade naar KadastraleKaart Pro
yoQrzkKq2B0p4sM f ULlUpgrade naar KadastraleKaart Pro
KNdo1HYyID LHUpgrade naar KadastraleKaart Pro
07/12/2015

Percelen
Gebruik de zoekbalk of klik op een perceel om informatie over het perceel te bekijken.