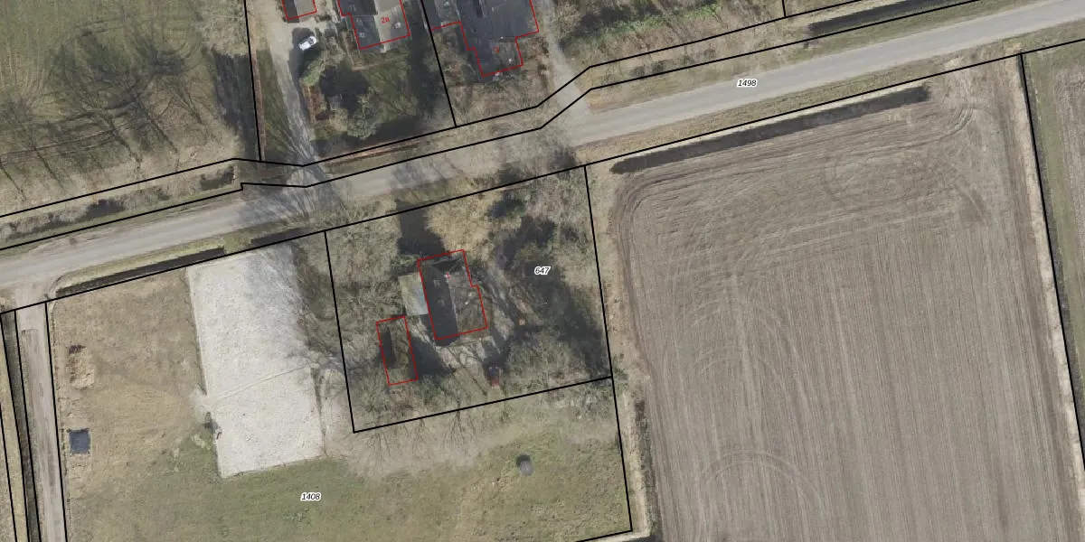
Perceel: RDE00-U-647
KadastraleKaart.com kan meer dan je denktOntdek meer ›
Filter op bestemming 50+ datasets Eigendomsdata in één klik Percelen CRM
1.900 m2 - 175 m
Eigenaar opvragen
RDE00-U-647 (Rolde)
- 9448 TA
hz4qA0gPZ1snlP2zJXUpgrade naar KadastraleKaart Pro
Bekijk op Street View
Download DWG/DXF/Excel
BSNBYtJ 2VyEPuS Upgrade naar KadastraleKaart Pro
U2IB LLuUpgrade naar KadastraleKaart Pro
rNZFxWTEUpgrade naar KadastraleKaart Pro
qV31NggRL IyAsXfUpgrade naar KadastraleKaart Pro
hzWO62wgN62LFA umVnBUpgrade naar KadastraleKaart Pro
LmF0 bW tvEDtYUpgrade naar KadastraleKaart Pro
IHfzoYya5c3ciupgUpgrade naar KadastraleKaart Pro
6sx4VdSGclrBUpgrade naar KadastraleKaart Pro
b4ro J26Upgrade naar KadastraleKaart Pro
Yeydn3Qny65N ZCJ EUpgrade naar KadastraleKaart Pro
16/04/2004

Percelen
Gebruik de zoekbalk of klik op een perceel om informatie over het perceel te bekijken.