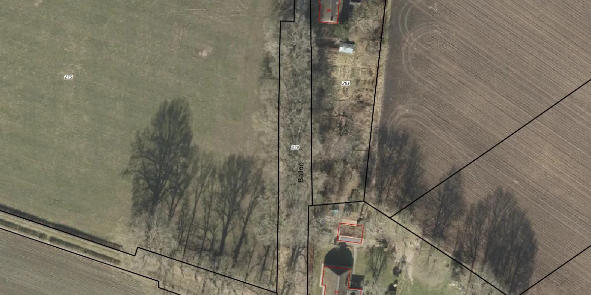
Perceel: RDE00-V-279
KadastraleKaart.com kan meer dan je denktOntdek meer ›
Filter op bestemming 50+ datasets Eigendomsdata in één klik Percelen CRM
Geen adressen bij dit perceel
2.070 m2 - 528 m
Eigenaar opvragen
RDE00-V-279 (Rolde)
- Geen postcode aanwezig
37k3NazFIQPMaQKlQdUpgrade naar KadastraleKaart Pro
Bekijk op Street View
Download DWG/DXF/Excel
rVE Iv4 Xcn4mkv3 5oWPluUpgrade naar KadastraleKaart Pro
ttjO7 VIOEMsUpgrade naar KadastraleKaart Pro
S4ETEewuWrOkOUpgrade naar KadastraleKaart Pro
GcrSm5vHCDDC WOhMCitvVUpgrade naar KadastraleKaart Pro
7I7hL7s3GS6Upgrade naar KadastraleKaart Pro
86wt g7s Y szZbUpgrade naar KadastraleKaart Pro
1f oHP2Hv1v SkdDRZEUpgrade naar KadastraleKaart Pro
K2b0VSo9Upgrade naar KadastraleKaart Pro
2 c2gd5CpGyBnM6 8zUpgrade naar KadastraleKaart Pro
K95zPabW 9l3FJq4aUpgrade naar KadastraleKaart Pro
27/03/2001

Percelen
Gebruik de zoekbalk of klik op een perceel om informatie over het perceel te bekijken.