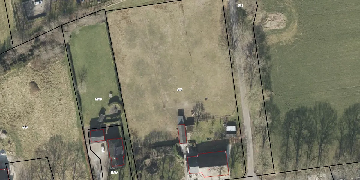
Perceel: RDE00-V-548
KadastraleKaart.com kan meer dan je denktOntdek meer ›
Filter op bestemming 50+ datasets Eigendomsdata in één klik Percelen CRM
6.376 m2 - 328 m
Eigenaar opvragen
RDE00-V-548 (Rolde)
- 9451 TE
H 1QIMf8tsFJSdXb1vlqy RfUpgrade naar KadastraleKaart Pro
Verkoopprijs opvragen
Bekijk op Street View
Download DWG/DXF/Excel
uKCCoyR krFfVpOSUtWUpgrade naar KadastraleKaart Pro
B 02wrQTB T2cUpgrade naar KadastraleKaart Pro
fypUMjYkicCR6mT9AuHEUpgrade naar KadastraleKaart Pro
Qq4b8p8V k 23MF9iUpgrade naar KadastraleKaart Pro
REZ Uf4nNIqUpgrade naar KadastraleKaart Pro
YutGZDW XoUpgrade naar KadastraleKaart Pro
ac IK doOUpgrade naar KadastraleKaart Pro
cG zvmvWTlBVp6FvUpgrade naar KadastraleKaart Pro
lzIhajBRLTqpOaNMdKb8CPqUpgrade naar KadastraleKaart Pro
fKZxe84My9988J DwMUpgrade naar KadastraleKaart Pro
13/02/2003

Percelen
Gebruik de zoekbalk of klik op een perceel om informatie over het perceel te bekijken.