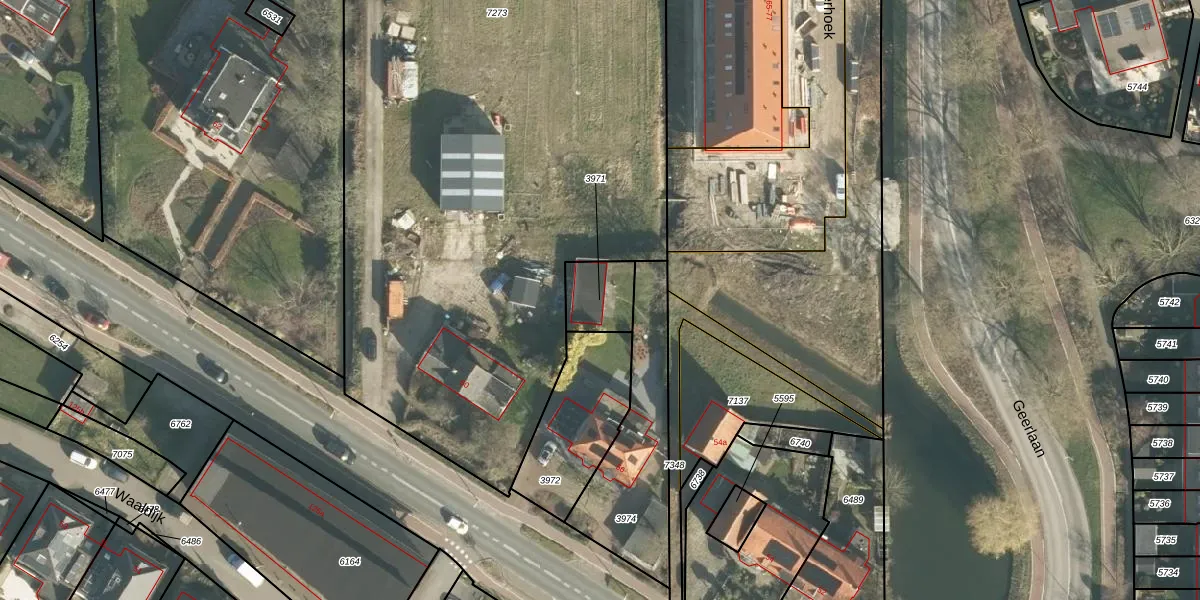
Perceel: RDK01-C-3971
Geen adressen bij dit perceel
130 m2 - 46 m
Eigenaar opvragen
RDK01-C-3971 (Ridderkerk)
- Geen postcode aanwezig
6hqYr L6CpXD0HoC6q2V6hxmUpgrade naar KadastraleKaart Pro
Bekijk op Street View
Download DWG/DXF/Excel
JorNd l8Pjf7b Qqx1Upgrade naar KadastraleKaart Pro
j3F6caA6el4Nijwouu99WcUpgrade naar KadastraleKaart Pro
OG 3Osu0hUpgrade naar KadastraleKaart Pro
lAGKBNd aMe KNl V2J EUpgrade naar KadastraleKaart Pro
dDp1jJ vw87 1ru0NUpgrade naar KadastraleKaart Pro
b05Gfg63yUpgrade naar KadastraleKaart Pro
9yI9vrWo76ApSB oUpgrade naar KadastraleKaart Pro
cEGfMec8Dw8SHZZrxk 6kW3Upgrade naar KadastraleKaart Pro
wvcVXdevgyVUaOp 8QlUpgrade naar KadastraleKaart Pro
JrRW2MIdufruUpgrade naar KadastraleKaart Pro
07/01/2002

Percelen
Gebruik de zoekbalk of klik op een perceel om informatie over het perceel te bekijken.