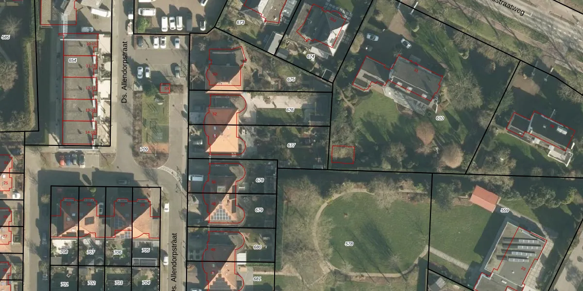
Perceel: RDK01-E-677
KadastraleKaart.com kan meer dan je denktOntdek meer ›
Filter op bestemming 50+ datasets Eigendomsdata in één klik Percelen CRM
627 m2 - 126 m
Eigenaar opvragen
RDK01-E-677 (Ridderkerk)
- 2988 BZ
jg1KGG3et3 nuXlJvZk FyBFTUpgrade naar KadastraleKaart Pro
Bekijk op Street View
Download DWG/DXF/Excel
LyuE9mdbE7Upgrade naar KadastraleKaart Pro
kCCy5u iUpgrade naar KadastraleKaart Pro
Q8uBojEBlDX7lM 6d 6VUpgrade naar KadastraleKaart Pro
C w Zq rjDyj M1N rEhUpgrade naar KadastraleKaart Pro
hlxkU6 FLy0slaP MJUpgrade naar KadastraleKaart Pro
0enKFWKcJTkmtyeWryYUpgrade naar KadastraleKaart Pro
7z11ZR nwR ws pe61iUpgrade naar KadastraleKaart Pro
CEc uc0fA9rF PhA 8vUpgrade naar KadastraleKaart Pro
4 JkyLnPfU UvFTcYY7Upgrade naar KadastraleKaart Pro
VelkZLArQ g6nUpgrade naar KadastraleKaart Pro
14/12/2001

Percelen
Gebruik de zoekbalk of klik op een perceel om informatie over het perceel te bekijken.