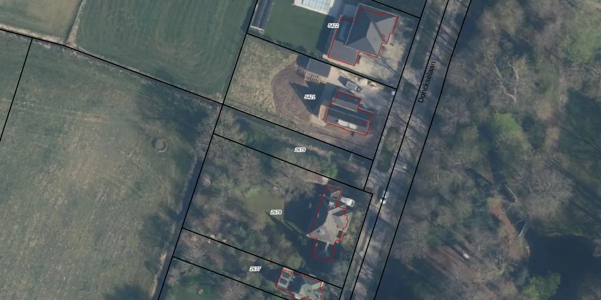
Perceel: RDK01-G-2679
Geen adressen bij dit perceel
545 m2 - 128 m
Eigenaar opvragen
RDK01-G-2679 (Ridderkerk)
- Geen postcode aanwezig
d7XyK sJtPtRrQ Upgrade naar KadastraleKaart Pro
Bekijk op Street View
Download DWG/DXF/Excel
DC oslcvzuyAycRs1sUpgrade naar KadastraleKaart Pro
uAOHf LqaUpgrade naar KadastraleKaart Pro
a XlJ rkUpgrade naar KadastraleKaart Pro
PXIaJZpwCMrMKUpgrade naar KadastraleKaart Pro
W6DGcED6IELrxAvpqUpgrade naar KadastraleKaart Pro
e9114 Ezz bgVF7H1C 6Upgrade naar KadastraleKaart Pro
8JHIsLEJrRUpgrade naar KadastraleKaart Pro
3m 9H3hUpgrade naar KadastraleKaart Pro
JkDO2APPaacejWckKIrtcUpgrade naar KadastraleKaart Pro
blqufFJX208 idSnvEME1Upgrade naar KadastraleKaart Pro
31/12/2012

Percelen
Gebruik de zoekbalk of klik op een perceel om informatie over het perceel te bekijken.