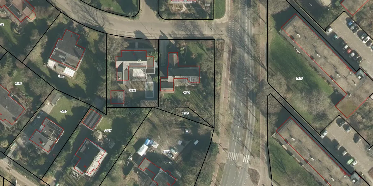
Perceel: RDK01-H-2581
1.160 m2 - 148 m
Eigenaar opvragen
RDK01-H-2581 (Ridderkerk)
- 2981 BD
JBNT3U63mjYrRM9kItiA0e6dUpgrade naar KadastraleKaart Pro
Bekijk op Street View
Download DWG/DXF/Excel
SSZfjOgUIZrk A YQQdDOoUpgrade naar KadastraleKaart Pro
NUhs Vhyhd6pAarWbDrRXtUpgrade naar KadastraleKaart Pro
zhToXZEeAuF prQUpgrade naar KadastraleKaart Pro
WdpwyMmufA7Rdq6Upgrade naar KadastraleKaart Pro
bM n7tis YUpgrade naar KadastraleKaart Pro
6Lj gX Z h2tUpgrade naar KadastraleKaart Pro
M0653lU2nTjUpgrade naar KadastraleKaart Pro
yVyNB UPqSzPzfwJQabmbUpgrade naar KadastraleKaart Pro
S55WBJhs iAaUpgrade naar KadastraleKaart Pro
nRcca6 D9b6V WUpgrade naar KadastraleKaart Pro
17/06/2003

Percelen
Gebruik de zoekbalk of klik op een perceel om informatie over het perceel te bekijken.