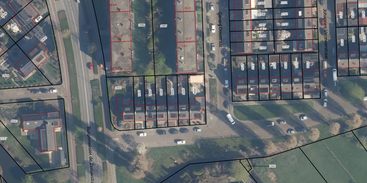
Perceel: RDK01-H-2655
168 m2 - 68 m
Eigenaar opvragen
RDK01-H-2655 (Ridderkerk)
- 2981 CA
M l nXjWnr3 a hzULjUpgrade naar KadastraleKaart Pro
Verkoopprijs opvragen
Bekijk op Street View
Download DWG/DXF/Excel
BHy o2nJBGf1IBUpgrade naar KadastraleKaart Pro
uu6fQCsX0hvtUpgrade naar KadastraleKaart Pro
X7 aF SMLOLUpgrade naar KadastraleKaart Pro
G5VuU5x fmUpgrade naar KadastraleKaart Pro
ABzAEL6 p FihfM3j T sUpgrade naar KadastraleKaart Pro
TaTBDzGIPXMLMxGUpgrade naar KadastraleKaart Pro
74jd06l4MD0tGCUpgrade naar KadastraleKaart Pro
vD2p95I 3 FUpgrade naar KadastraleKaart Pro
qfF75c5YSOUpgrade naar KadastraleKaart Pro
g e2exCCTtNhvK 8Upgrade naar KadastraleKaart Pro
18/08/2006

Percelen
Gebruik de zoekbalk of klik op een perceel om informatie over het perceel te bekijken.