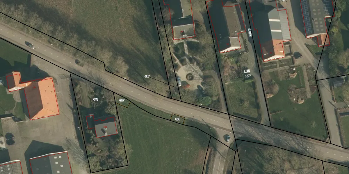
Perceel: RDK02-I-497
KadastraleKaart.com kan meer dan je denktOntdek meer ›
Filter op bestemming 50+ datasets Eigendomsdata in één klik Percelen CRM
Geen adressen bij dit perceel
495 m2 - 236 m
Eigenaar opvragen
RDK02-I-497 (Raamsdonk)
- Geen postcode aanwezig
0w26E4S6 l6Y6OJcwiH93bZRvFMRAUpgrade naar KadastraleKaart Pro
Bekijk op Street View
Download DWG/DXF/Excel
3FOugRDszsUpgrade naar KadastraleKaart Pro
mq9giWJ HmhZR K8k7NUpgrade naar KadastraleKaart Pro
eni48jkxfbh8 IUpgrade naar KadastraleKaart Pro
Zq4ne6fckSkawpxkBzHZQEUpgrade naar KadastraleKaart Pro
Zrlu5DPlKZYfo 2SgDUpgrade naar KadastraleKaart Pro
wp1 nr 7fiW 2kMPUpgrade naar KadastraleKaart Pro
ZiJYGb7q410pin5kUpgrade naar KadastraleKaart Pro
YYbRlaI00R M8N9Upgrade naar KadastraleKaart Pro
uxApYvz4GEmMQ26FMd548aUpgrade naar KadastraleKaart Pro
OrzAFpHF6srEzUpgrade naar KadastraleKaart Pro
04/04/2007

Percelen
Gebruik de zoekbalk of klik op een perceel om informatie over het perceel te bekijken.