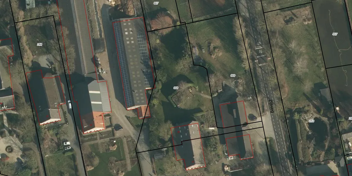
Perceel: RDK02-I-668
KadastraleKaart.com kan meer dan je denktOntdek meer ›
Filter op bestemming 50+ datasets Eigendomsdata in één klik Percelen CRM
2.225 m2 - 263 m
Eigenaar opvragen
RDK02-I-668 (Raamsdonk)
- 4944 AV
S2BBq Sd 93IIFr5rJ9Upgrade naar KadastraleKaart Pro
Bekijk op Street View
Download DWG/DXF/Excel
6pr8RG AnazHLtKyAdjUpgrade naar KadastraleKaart Pro
wdY5GBJhTNFBIYu75Zq2yJUpgrade naar KadastraleKaart Pro
jOHJD2x3MmhPUv8lVsy76YUpgrade naar KadastraleKaart Pro
t oXi 5WdxBKUAkUpgrade naar KadastraleKaart Pro
1tAPSUmTQolf4gQUpgrade naar KadastraleKaart Pro
0NM4N70UsCAGkUpgrade naar KadastraleKaart Pro
gv7lC8Nxeo9Upgrade naar KadastraleKaart Pro
3vmud0UEAFKFI2s9Upgrade naar KadastraleKaart Pro
0de3O9mU4PUh uVG e3e1Upgrade naar KadastraleKaart Pro
ZKzUL sK4zT8xUpgrade naar KadastraleKaart Pro
29/12/2022

Percelen
Gebruik de zoekbalk of klik op een perceel om informatie over het perceel te bekijken.