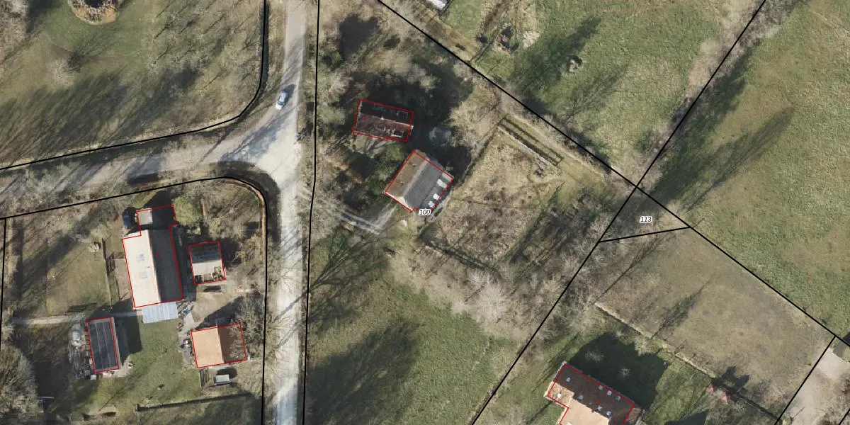
Perceel: RDN01-O-100
KadastraleKaart.com kan meer dan je denktOntdek meer ›
Filter op bestemming 50+ datasets Eigendomsdata in één klik Percelen CRM
6.475 m2 - 389 m
Eigenaar opvragen
RDN01-O-100 (Roden)
- 9304 TK
J8dDC 7YNk9OIePADnzrz0SUpgrade naar KadastraleKaart Pro
Bekijk op Street View
Download DWG/DXF/Excel
GVdXqVNeMZYK8GUpgrade naar KadastraleKaart Pro
ehMeU43xIkvnUpgrade naar KadastraleKaart Pro
QvSwfuy8AWtU3G5SXUpgrade naar KadastraleKaart Pro
kiAy07b0Ax1LKREfJcU4Upgrade naar KadastraleKaart Pro
qqVvKMHy AN8aLUpgrade naar KadastraleKaart Pro
53VdA9dZcvxlnB LbuGURVqUpgrade naar KadastraleKaart Pro
2VMvlOp0L8RHlAUUpgrade naar KadastraleKaart Pro
zgvEu9bnzn2TpUpgrade naar KadastraleKaart Pro
4nvotxm 1lNaMu TZ5 vZUpgrade naar KadastraleKaart Pro
T5 Vmq0RWUpgrade naar KadastraleKaart Pro
29/09/2011

Percelen
Gebruik de zoekbalk of klik op een perceel om informatie over het perceel te bekijken.