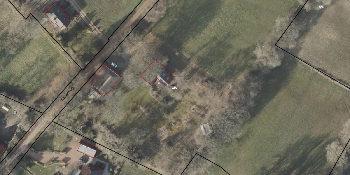
Perceel: RDN01-O-278
KadastraleKaart.com kan meer dan je denktOntdek meer ›
Filter op bestemming 50+ datasets Eigendomsdata in één klik Percelen CRM
16.750 m2 - 628 m
Eigenaar opvragen
RDN01-O-278 (Roden)
- 9306 TD
PDzdNdoYm WnM7pIzkoGUpgrade naar KadastraleKaart Pro
Bekijk op Street View
Download DWG/DXF/Excel
NP41Q9KJTjQbvXUpgrade naar KadastraleKaart Pro
hG0vhoC 0cVUI6BApDUpgrade naar KadastraleKaart Pro
MgAMx lX2Djf3WnI1Upgrade naar KadastraleKaart Pro
PqY6loYjqVkw3 mi1HJvUpgrade naar KadastraleKaart Pro
yw2NLd9 xP4jCx9gXxMUpgrade naar KadastraleKaart Pro
h3EBCKdT9myUpgrade naar KadastraleKaart Pro
iYTjHwyVUpgrade naar KadastraleKaart Pro
U kauscFFHZCUpgrade naar KadastraleKaart Pro
MuVsaF5aUO7NEPnUpgrade naar KadastraleKaart Pro
pPoaG3SBCpc3AuqUpgrade naar KadastraleKaart Pro
22/09/2011

Percelen
Gebruik de zoekbalk of klik op een perceel om informatie over het perceel te bekijken.