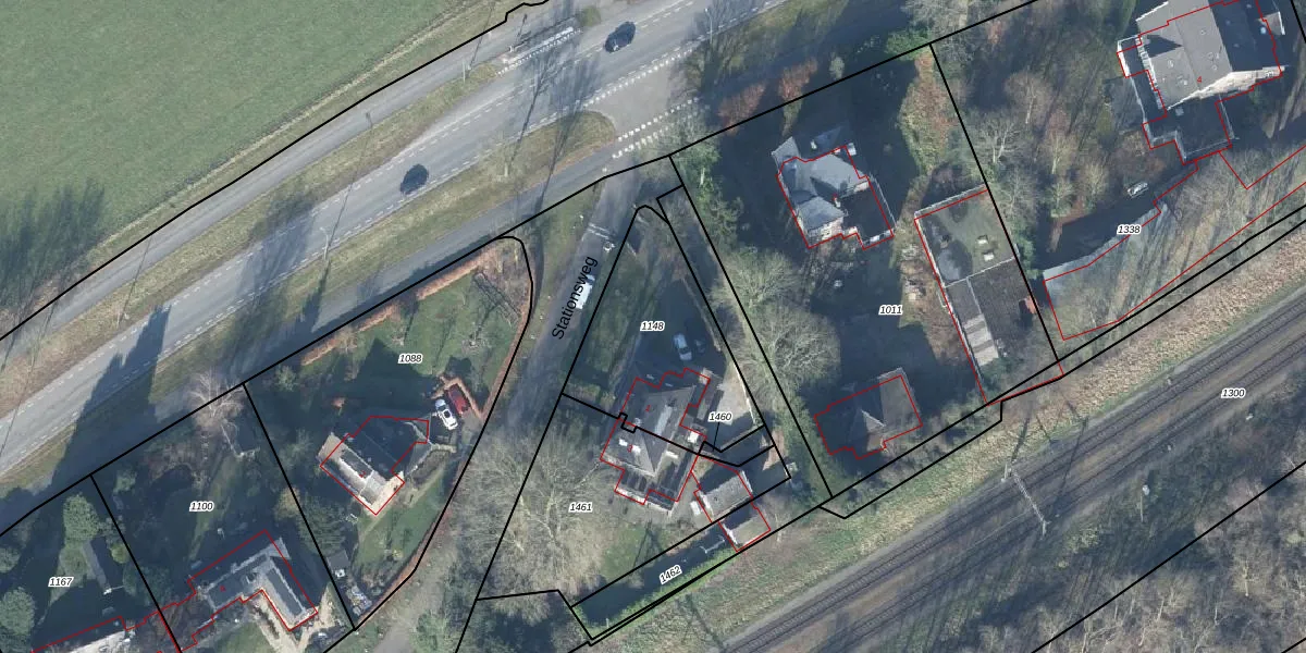
Perceel: RDN02-B-1148
KadastraleKaart.com kan meer dan je denktOntdek meer ›
Filter op bestemming 50+ datasets Eigendomsdata in één klik Percelen CRM
650 m2 - 110 m
Eigenaar opvragen
RDN02-B-1148 (Rheden)
- 6994 AA
LAVK0FzDL xpfMRvE40HIFnXaNlsCUpgrade naar KadastraleKaart Pro
Verkoopprijs opvragen
Bekijk op Street View
Download DWG/DXF/Excel
ZEmFwdeZUpgrade naar KadastraleKaart Pro
G1vS4cm3qO BVLqcSUpgrade naar KadastraleKaart Pro
Y3HLpQOkdjpAgkUyPCbUpgrade naar KadastraleKaart Pro
s35qEMsmw7Upgrade naar KadastraleKaart Pro
wDnYDxR 00umg iOd8AmZSUpgrade naar KadastraleKaart Pro
WWyWiCL LrqLTudfeUpgrade naar KadastraleKaart Pro
n5 PhGflUpgrade naar KadastraleKaart Pro
2 j8jwvaCDunba7gUpgrade naar KadastraleKaart Pro
NnGFRLJ7pAf iUpgrade naar KadastraleKaart Pro
hVYD f OCDZ9xB o8Upgrade naar KadastraleKaart Pro
06/03/2026

Percelen
Gebruik de zoekbalk of klik op een perceel om informatie over het perceel te bekijken.