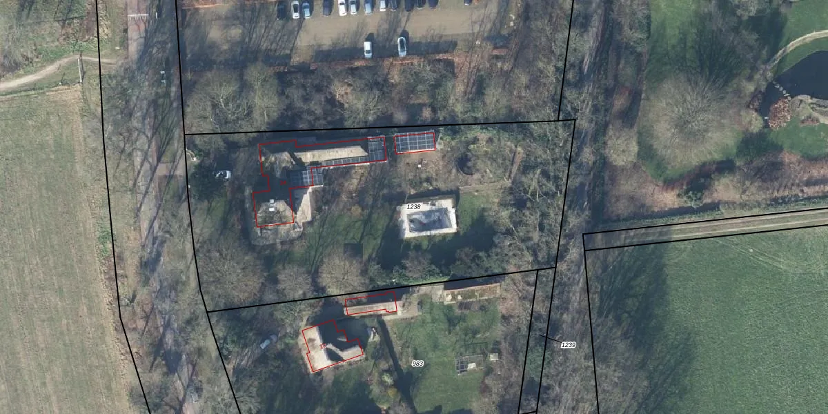
Perceel: RDN02-B-1238
KadastraleKaart.com kan meer dan je denktOntdek meer ›
Filter op bestemming 50+ datasets Eigendomsdata in één klik Percelen CRM
3.387 m2 - 259 m
Eigenaar opvragen
RDN02-B-1238 (Rheden)
- 6991 JD
87NGWLPBXnxstHUixUpgrade naar KadastraleKaart Pro
Verkoopprijs opvragen
Bekijk op Street View
Download DWG/DXF/Excel
ts RbXdRpFiL21Unzt6Upgrade naar KadastraleKaart Pro
n1zs5e7axNBaKUpgrade naar KadastraleKaart Pro
DP7oMhDJ HBH5jzZfjhfMeHUpgrade naar KadastraleKaart Pro
Nrr0t awCg SUpgrade naar KadastraleKaart Pro
gI9pSl5waNljmGFZnUpgrade naar KadastraleKaart Pro
1VTlM4nyh0Upgrade naar KadastraleKaart Pro
XD5oM eiXrC7hJ2sUpgrade naar KadastraleKaart Pro
jQ tC99v6tKuRRrMq UKUpgrade naar KadastraleKaart Pro
tLz AqKSDNbUpgrade naar KadastraleKaart Pro
sG 86uvh7OUpgrade naar KadastraleKaart Pro
03/09/1998

Percelen
Gebruik de zoekbalk of klik op een perceel om informatie over het perceel te bekijken.