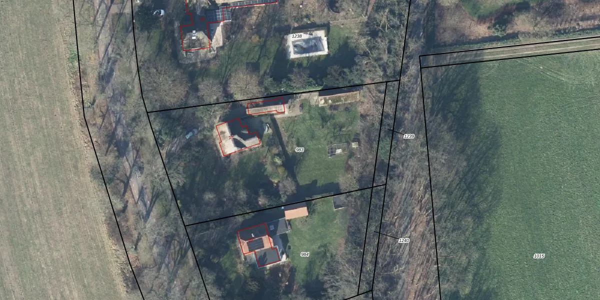
Perceel: RDN02-B-983
KadastraleKaart.com kan meer dan je denktOntdek meer ›
Filter op bestemming 50+ datasets Eigendomsdata in één klik Percelen CRM
2.704 m2 - 220 m
Eigenaar opvragen
RDN02-B-983 (Rheden)
- 6991 JD
0Xi lW72KeCP4sT M B460 rUpgrade naar KadastraleKaart Pro
Verkoopprijs opvragen
Bekijk op Street View
Download DWG/DXF/Excel
dmW0cX1OCAie AM5M8ZGp8oUpgrade naar KadastraleKaart Pro
gsnr782Hn GPnMNUpgrade naar KadastraleKaart Pro
H1SMpileugMmvErcajXCaUpgrade naar KadastraleKaart Pro
O1UK5USmXNNJUpgrade naar KadastraleKaart Pro
Wnhv8LaFXfGi3pu8VvqUpgrade naar KadastraleKaart Pro
PX5zS z4tGbo4WmmwbH6SUUpgrade naar KadastraleKaart Pro
OB zn5KfuUpgrade naar KadastraleKaart Pro
b yEVViOYsxUpgrade naar KadastraleKaart Pro
3gQ3031i7 9 GKq5Upgrade naar KadastraleKaart Pro
liRVaQ DL Kr R R533 Upgrade naar KadastraleKaart Pro
03/09/1998

Percelen
Gebruik de zoekbalk of klik op een perceel om informatie over het perceel te bekijken.