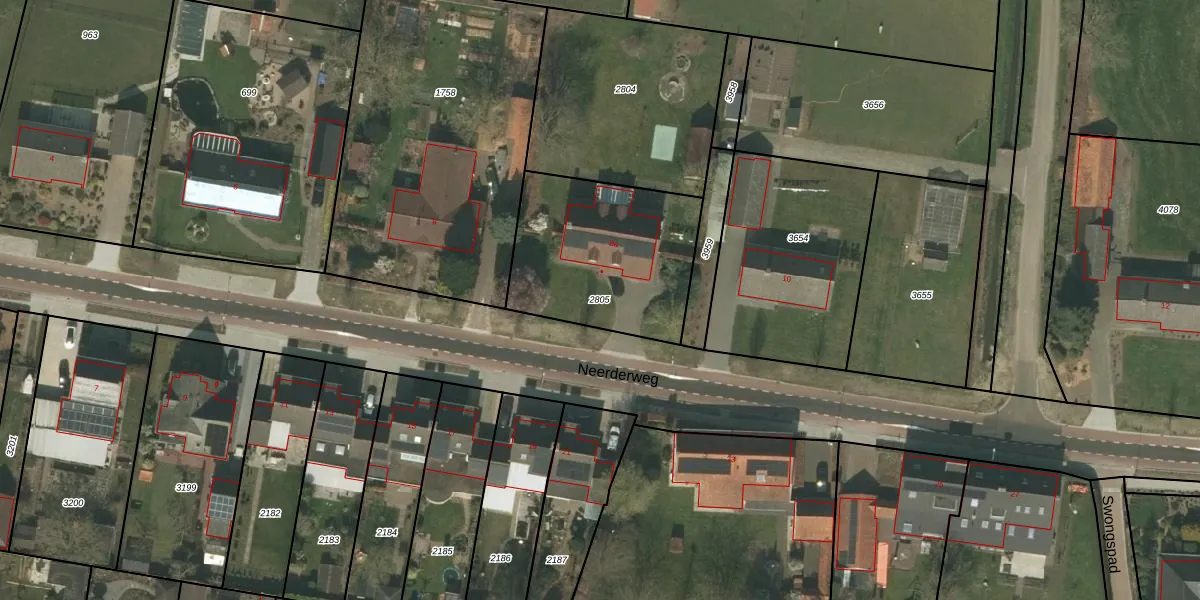
Perceel: RGL00-G-2805
KadastraleKaart.com kan meer dan je denktOntdek meer ›
Filter op bestemming 50+ datasets Eigendomsdata in één klik Percelen CRM
720 m2 - 108 m
Eigenaar opvragen
RGL00-G-2805 (Roggel)
- 6088 BD
LYa8bzSx1TcC2zaIEvlUmMo5Upgrade naar KadastraleKaart Pro
Bekijk op Street View
Download DWG/DXF/Excel
1 9G6 pd9UcrUpgrade naar KadastraleKaart Pro
gXexTkz41OzayFJiZvt8I KUpgrade naar KadastraleKaart Pro
vAdyQrg Kv KSk6HUpgrade naar KadastraleKaart Pro
S5A8JeNtuUpgrade naar KadastraleKaart Pro
xrrHR9d5qohAwLE9iwUpgrade naar KadastraleKaart Pro
XPT7xtjtWUpgrade naar KadastraleKaart Pro
veAQtRF06S7 HUpgrade naar KadastraleKaart Pro
n8Jq0b9zie0IWpUpgrade naar KadastraleKaart Pro
lxAIi2Upgrade naar KadastraleKaart Pro
Kf03c6qTeSzodkGpkx7bUpgrade naar KadastraleKaart Pro
18/11/2008

Percelen
Gebruik de zoekbalk of klik op een perceel om informatie over het perceel te bekijken.