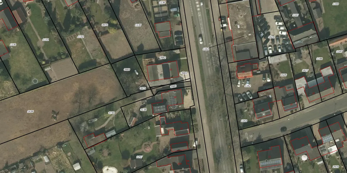
Perceel: RGL00-G-3980
Geen adressen bij dit perceel
65 m2 - 53 m
Eigenaar opvragen
RGL00-G-3980 (Roggel)
- Geen postcode aanwezig
21dn uUj LiRq weNEUpgrade naar KadastraleKaart Pro
Bekijk op Street View
Download DWG/DXF/Excel
WuQ0ehozDV2oVc Upgrade naar KadastraleKaart Pro
MNZMZeXLowUpgrade naar KadastraleKaart Pro
4k8sHylPKUpgrade naar KadastraleKaart Pro
Vonf0S KPkMUoM8Upgrade naar KadastraleKaart Pro
Urbkcf9VRUpgrade naar KadastraleKaart Pro
J0NO9f6ERT1 bUpgrade naar KadastraleKaart Pro
Kkqk L6DJMgTiEUpgrade naar KadastraleKaart Pro
R8ts vZD2pDY8sJonOEPZUpgrade naar KadastraleKaart Pro
xGC2T P5P FYupCDUpgrade naar KadastraleKaart Pro
oZ 9OcGxLMmrFUUpgrade naar KadastraleKaart Pro
25/03/2021

Percelen
Gebruik de zoekbalk of klik op een perceel om informatie over het perceel te bekijken.