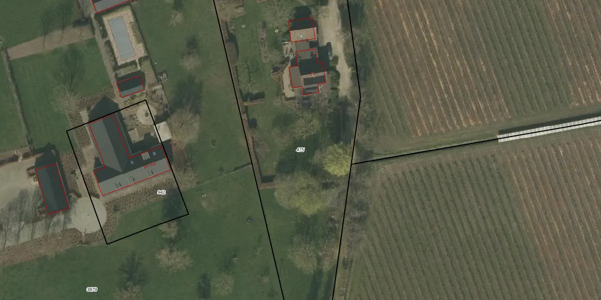
Perceel: RGL00-G-475
KadastraleKaart.com kan meer dan je denktOntdek meer ›
Filter op bestemming 50+ datasets Eigendomsdata in één klik Percelen CRM
5.450 m2 - 384 m
Eigenaar opvragen
RGL00-G-475 (Roggel)
- 6088 NH
449FgelvVdNG G80IlmH qgkUpgrade naar KadastraleKaart Pro
Bekijk op Street View
Download DWG/DXF/Excel
wvXSiD8u2 fVJ17Upgrade naar KadastraleKaart Pro
OtoK7TUSH ikU1Zhw NwVUMUpgrade naar KadastraleKaart Pro
ecrrKK8bI rLYmZMLJNoYUpgrade naar KadastraleKaart Pro
YgZVefVMOj95jJmTZgK Upgrade naar KadastraleKaart Pro
pMPY6qDV8VsYmZCnRrUpgrade naar KadastraleKaart Pro
MTM88IGT LUpgrade naar KadastraleKaart Pro
wnaHoWY0PHDZqlEEedR8O1Upgrade naar KadastraleKaart Pro
zUbx7qs2h2k652iu1MKluUpgrade naar KadastraleKaart Pro
fmW9tbkN gUpgrade naar KadastraleKaart Pro
XuwgUTuAv4Xe4HqUpgrade naar KadastraleKaart Pro
28/09/2017

Percelen
Gebruik de zoekbalk of klik op een perceel om informatie over het perceel te bekijken.