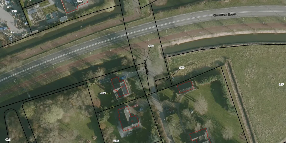
Perceel: RHO00-A-2562
KadastraleKaart.com kan meer dan je denktOntdek meer ›
Filter op bestemming 50+ datasets Eigendomsdata in één klik Percelen CRM
Geen adressen bij dit perceel
105 m2 - 55 m
Eigenaar opvragen
RHO00-A-2562 (Rhoon)
- Geen postcode aanwezig
Q Hs MS6HJJsNA7sDzdJcWLJcdiAX oUpgrade naar KadastraleKaart Pro
Bekijk op Street View
Download DWG/DXF/Excel
VNcsEzpb yuUpgrade naar KadastraleKaart Pro
A5JTKWi0PcuNiNUpgrade naar KadastraleKaart Pro
l WE vUF9RwJTltJgUpgrade naar KadastraleKaart Pro
bI48j h I4Upgrade naar KadastraleKaart Pro
7Wit1fG5TRQpVlXOfcrUpgrade naar KadastraleKaart Pro
YTQbetLUasUpgrade naar KadastraleKaart Pro
n3X8Li U DtWj5nwOh Upgrade naar KadastraleKaart Pro
V3l RWn1Upgrade naar KadastraleKaart Pro
8x47JdjhasCeRUpgrade naar KadastraleKaart Pro
x86BlXRlI KUpgrade naar KadastraleKaart Pro
17/12/2001

Percelen
Gebruik de zoekbalk of klik op een perceel om informatie over het perceel te bekijken.