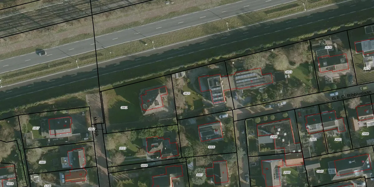
Perceel: RHO00-A-3820
KadastraleKaart.com kan meer dan je denktOntdek meer ›
Filter op bestemming 50+ datasets Eigendomsdata in één klik Percelen CRM
783 m2 - 112 m
Eigenaar opvragen
RHO00-A-3820 (Rhoon)
- 3161 HB
GrzNkSjkC2 6CeKNV80T2rFqvOtZAUpgrade naar KadastraleKaart Pro
Bekijk op Street View
Download DWG/DXF/Excel
CkFzKyCAIqUpgrade naar KadastraleKaart Pro
EtkloPiIV cUpgrade naar KadastraleKaart Pro
AvJWN1MrdD33qG6FkVZoDQUpgrade naar KadastraleKaart Pro
vCEeNJlh44uc9VUpgrade naar KadastraleKaart Pro
E DY 6IBHqLzMdd8gxUpgrade naar KadastraleKaart Pro
4JGa5ACb8S7vQ4dUpgrade naar KadastraleKaart Pro
ZGXThvbQRiUpgrade naar KadastraleKaart Pro
NrZskVx0j68lx2UjUpgrade naar KadastraleKaart Pro
F2sO3pnS8 zlzUpgrade naar KadastraleKaart Pro
SpryuRWDb aq3HUpgrade naar KadastraleKaart Pro
19/12/2001

Percelen
Gebruik de zoekbalk of klik op een perceel om informatie over het perceel te bekijken.