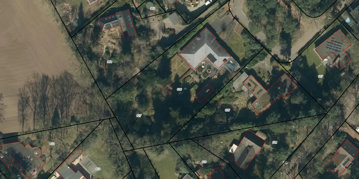
Perceel: RHV00-D-626
KadastraleKaart.com kan meer dan je denktOntdek meer ›
Filter op bestemming 50+ datasets Eigendomsdata in één klik Percelen CRM
3.260 m2 - 251 m
Eigenaar opvragen
RHV00-D-626 (Riethoven)
- 5561 TL
pJ1q0d yl0 2M8W 6MSE G9FO2Upgrade naar KadastraleKaart Pro
Verkoopprijs opvragen
Bekijk op Street View
Download DWG/DXF/Excel
CAZnpdq7dsUpgrade naar KadastraleKaart Pro
T4FlIqoY s1sRac P8Upgrade naar KadastraleKaart Pro
JzEE60CKzzZWaIwqeUpgrade naar KadastraleKaart Pro
6zTGUZxDxz6rUj9M3mHHM4Upgrade naar KadastraleKaart Pro
PXg11xdwzPkgjiuJUUpgrade naar KadastraleKaart Pro
mj hR TCjOptBBLKb6kUpgrade naar KadastraleKaart Pro
fK wS nfLOCE GymgPsM0DUpgrade naar KadastraleKaart Pro
UetP7C yWiIdscZFPR6Upgrade naar KadastraleKaart Pro
J8jNRLv7ZlUpgrade naar KadastraleKaart Pro
KREJk8NdUpgrade naar KadastraleKaart Pro
15/01/2008

Percelen
Gebruik de zoekbalk of klik op een perceel om informatie over het perceel te bekijken.