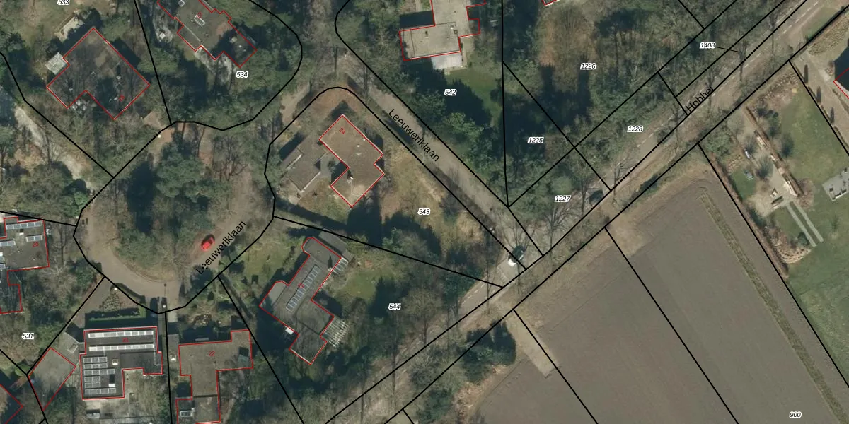
Perceel: RHV00-E-543
KadastraleKaart.com kan meer dan je denktOntdek meer ›
Filter op bestemming 50+ datasets Eigendomsdata in één klik Percelen CRM
1.360 m2 - 165 m
Eigenaar opvragen
RHV00-E-543 (Riethoven)
- 5561 TP
de2e 8EF2ktCujv1cUpgrade naar KadastraleKaart Pro
Verkoopprijs opvragen
Bekijk op Street View
Download DWG/DXF/Excel
cc49OC6euwSRJUEs Y31VUpgrade naar KadastraleKaart Pro
qKbku9ompUpgrade naar KadastraleKaart Pro
ClMS3r NCz7KEm WdN jCUpgrade naar KadastraleKaart Pro
w1HHly WSNmvrN9vmUpgrade naar KadastraleKaart Pro
Pzpqyhf1R5IL9 uHHUpgrade naar KadastraleKaart Pro
mWO9FhKpD9aczc2vaAu6Upgrade naar KadastraleKaart Pro
ErX1rXrV 98kc 3xORrUpgrade naar KadastraleKaart Pro
wh6apq cbfIgf4Tj9AAP9G6Upgrade naar KadastraleKaart Pro
rAN3JeVlzJ8ExgU4fkVEFUpgrade naar KadastraleKaart Pro
x uTKTOYur HESXgTRSAUpgrade naar KadastraleKaart Pro
15/01/2008

Percelen
Gebruik de zoekbalk of klik op een perceel om informatie over het perceel te bekijken.