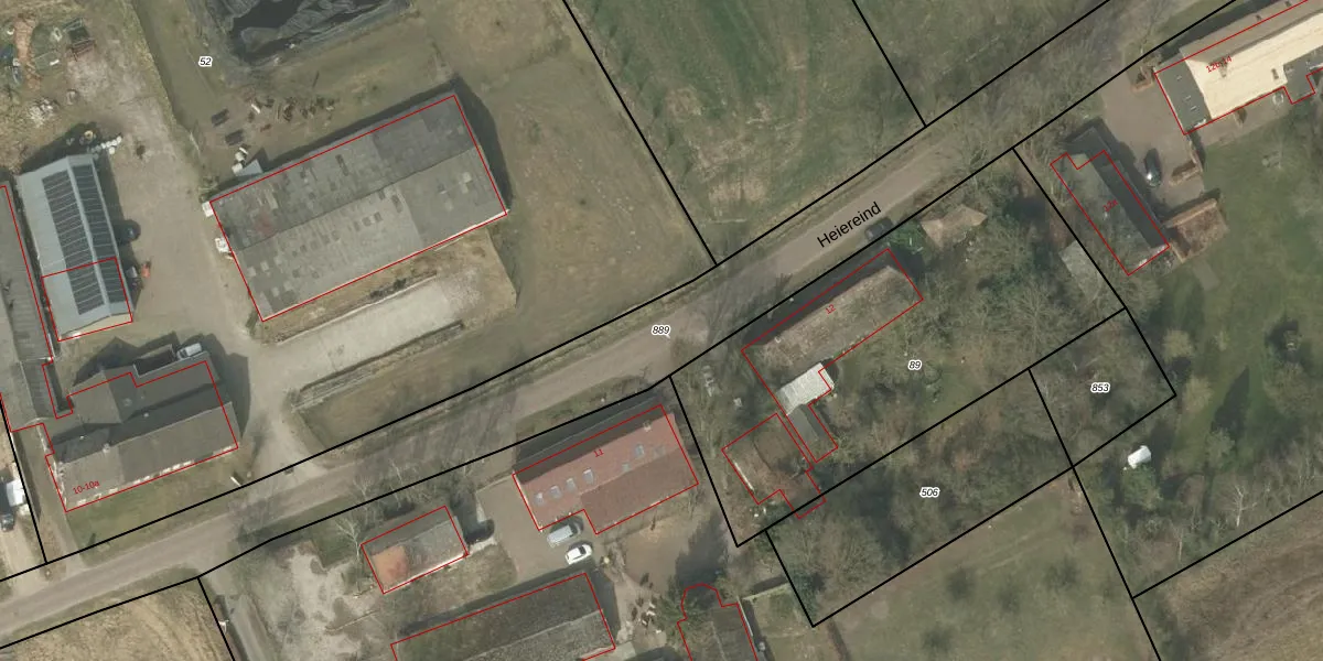
Perceel: RHV00-E-889
KadastraleKaart.com kan meer dan je denktOntdek meer ›
Filter op bestemming 50+ datasets Eigendomsdata in één klik Percelen CRM
Geen adressen bij dit perceel
11.005 m2 - 2.211 m
Eigenaar opvragen
RHV00-E-889 (Riethoven)
- Geen postcode aanwezig
B2dxldtGtz8HQ aPzLtwTwxUpgrade naar KadastraleKaart Pro
Bekijk op Street View
Download DWG/DXF/Excel
3OF16xoCyxUpgrade naar KadastraleKaart Pro
MlMO1ZCSdCUpgrade naar KadastraleKaart Pro
Jj4tRB87nnuTnlrRUlUpgrade naar KadastraleKaart Pro
Ico SB CYi1Q5zJ6Upgrade naar KadastraleKaart Pro
t6501p04oaK3Upgrade naar KadastraleKaart Pro
yYcXC1ISUpgrade naar KadastraleKaart Pro
GXTko AuRXDsuEcasuHS3oUpgrade naar KadastraleKaart Pro
hXC4Fu LUpgrade naar KadastraleKaart Pro
OTigCYI I Ob4S C2MBoGiUpgrade naar KadastraleKaart Pro
6LvtokaX0qNUt6 Hi4RpwLUpgrade naar KadastraleKaart Pro
04/03/2025

Percelen
Gebruik de zoekbalk of klik op een perceel om informatie over het perceel te bekijken.