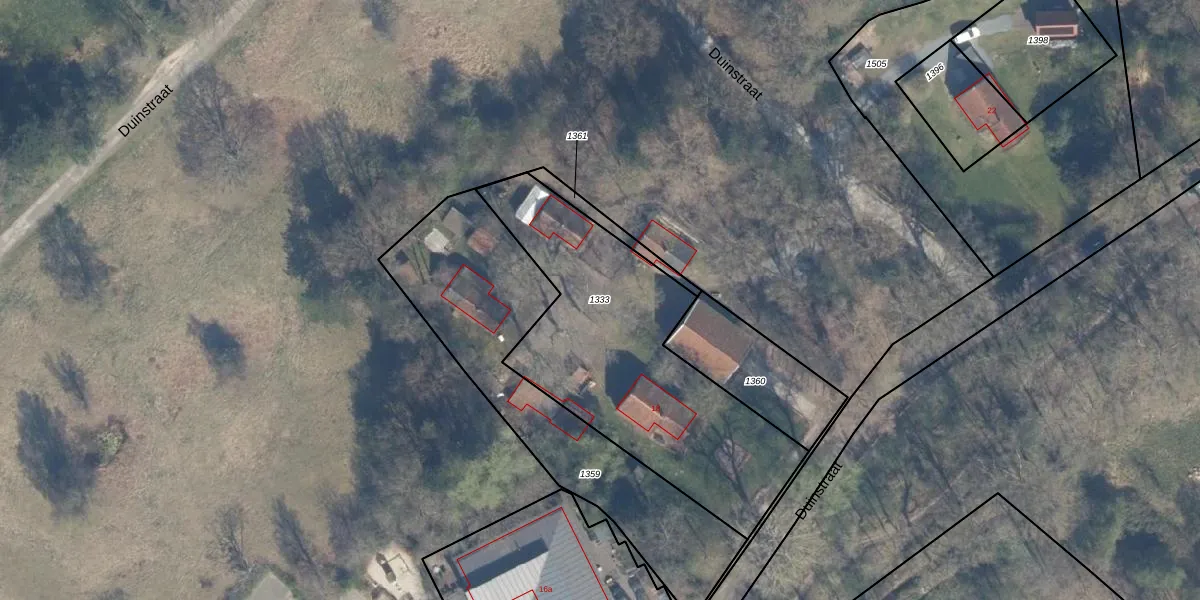
Perceel: RKJ00-A-1333
KadastraleKaart.com kan meer dan je denktOntdek meer ›
Filter op bestemming 50+ datasets Eigendomsdata in één klik Percelen CRM
1.280 m2 - 190 m
Eigenaar opvragen
RKJ00-A-1333 (Rockanje)
- 3235 NK
PlcJIdcHyxZ8VI82Ohp b88yLUpgrade naar KadastraleKaart Pro
Bekijk op Street View
Download DWG/DXF/Excel
4kgDhNi38NQLoD4Upgrade naar KadastraleKaart Pro
izEL XHW3XT II rcxgAyUpgrade naar KadastraleKaart Pro
AjGypbEJ2QyMnkUpgrade naar KadastraleKaart Pro
D6BS3 jZwhUpgrade naar KadastraleKaart Pro
IaxbWl4C ZKuaeVA9Upgrade naar KadastraleKaart Pro
Lun0p94O3aU4jNI5YeH Upgrade naar KadastraleKaart Pro
Ipe11q OD8IZHTCxz kGUpgrade naar KadastraleKaart Pro
0Z r2 6OPYs2HUpgrade naar KadastraleKaart Pro
mc1DUYgOCjz JFIEsuPkMYUpgrade naar KadastraleKaart Pro
nqJugSz1 R8lUpgrade naar KadastraleKaart Pro
02/10/2003

Percelen
Gebruik de zoekbalk of klik op een perceel om informatie over het perceel te bekijken.