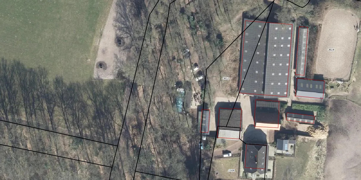
Perceel: RKM00-B-3613
Geen adressen bij dit perceel
4.385 m2 - 342 m
Eigenaar opvragen
RKM00-B-3613 (Renkum)
- Geen postcode aanwezig
wS o mB5Jde3GJHg91GXF oAH5YSUpgrade naar KadastraleKaart Pro
Bekijk op Street View
Download DWG/DXF/Excel
DGL2Wels4A10p1VWbUpgrade naar KadastraleKaart Pro
T90lcyw7Hy HDQxmwlUpgrade naar KadastraleKaart Pro
K79QkjUXbbTAnd1u5VfvUpgrade naar KadastraleKaart Pro
i5U70kHUSk sh f KYUpgrade naar KadastraleKaart Pro
a k 4ARtCyUpgrade naar KadastraleKaart Pro
BoX2tqjTMr WQEUpgrade naar KadastraleKaart Pro
bqKhbYJBHXXRLK 9phUpgrade naar KadastraleKaart Pro
inF SNRXW5GdjJWiKLUpgrade naar KadastraleKaart Pro
Un6m84Y PupJVgWQZrsvlhnUpgrade naar KadastraleKaart Pro
IZD zbEw3tBUpgrade naar KadastraleKaart Pro
04/02/2002

Percelen
Gebruik de zoekbalk of klik op een perceel om informatie over het perceel te bekijken.