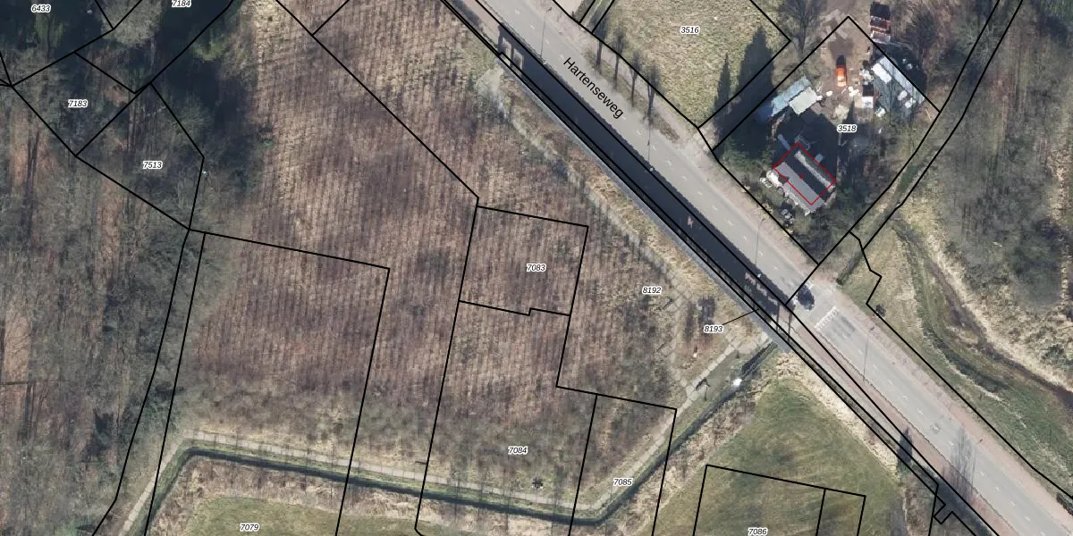
Perceel: RKM00-C-7083
Geen adressen bij dit perceel
375 m2 - 78 m
Eigenaar opvragen
RKM00-C-7083 (Renkum)
- Geen postcode aanwezig
2OdfWqz cG er8lI LBtgEnUpgrade naar KadastraleKaart Pro
Bekijk op Street View
Download DWG/DXF/Excel
Q18ZNq lcUpgrade naar KadastraleKaart Pro
g53 0vWNk O 80Od35 MLZFUpgrade naar KadastraleKaart Pro
Q 90TT7DAZl4 9DXwcVSqMUpgrade naar KadastraleKaart Pro
wE0WL QxkpJUpgrade naar KadastraleKaart Pro
LTa wmc891b23U8O6ZScUpgrade naar KadastraleKaart Pro
AQT70nP qn Z2yKrPlnrApNUpgrade naar KadastraleKaart Pro
CrKJFQ1W50c6CEsUpgrade naar KadastraleKaart Pro
wSGEqHQ 2lUpgrade naar KadastraleKaart Pro
H UdMzX igUpgrade naar KadastraleKaart Pro
XSctfSqViBolheg auUpgrade naar KadastraleKaart Pro
12/12/2001

Percelen
Gebruik de zoekbalk of klik op een perceel om informatie over het perceel te bekijken.