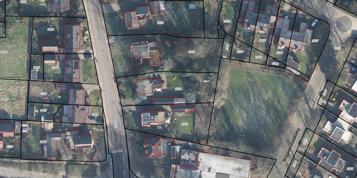
Perceel: RLO00-A-1624
KadastraleKaart.com kan meer dan je denktOntdek meer ›
Filter op bestemming 50+ datasets Eigendomsdata in één klik Percelen CRM
964 m2 - 142 m
Eigenaar opvragen
RLO00-A-1624 (Ruurlo)
- 7261 DB
kgFtw4OBBMGqP0QyCUpgrade naar KadastraleKaart Pro
Verkoopprijs opvragen
Bekijk op Street View
Download DWG/DXF/Excel
K6 xwDWI6un JYGtxXUpgrade naar KadastraleKaart Pro
Cs yyxZi GMbE193mUpgrade naar KadastraleKaart Pro
5a o52cQUpgrade naar KadastraleKaart Pro
6M5t jbechS C OTJSbUpgrade naar KadastraleKaart Pro
KHtzPPBkfBU8KTUpgrade naar KadastraleKaart Pro
hhHU5jQ Z96 fD Upgrade naar KadastraleKaart Pro
Nj2s118NP ILeg2j8i Upgrade naar KadastraleKaart Pro
3CY WiQPUpgrade naar KadastraleKaart Pro
djo4CwYF eS8Eb1kvg3Upgrade naar KadastraleKaart Pro
itG5h3LfIUpgrade naar KadastraleKaart Pro
19/06/2002

Percelen
Gebruik de zoekbalk of klik op een perceel om informatie over het perceel te bekijken.