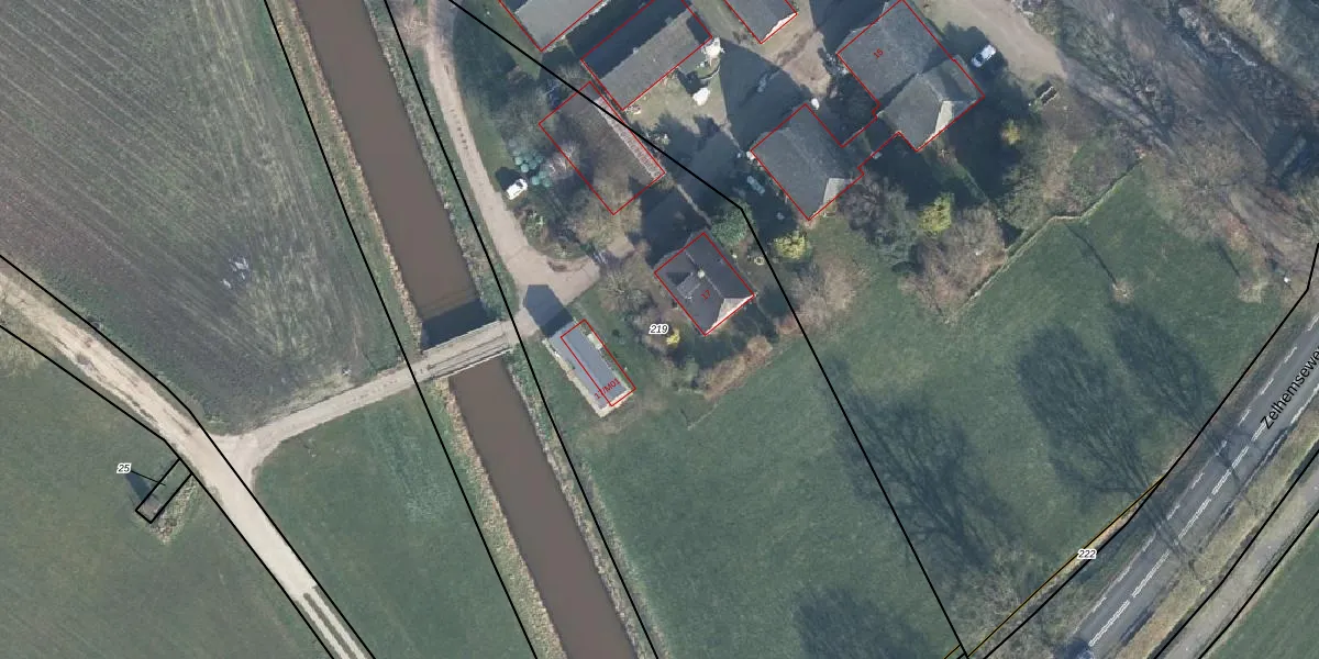
Perceel: RLO00-Y-219
KadastraleKaart.com kan meer dan je denktOntdek meer ›
Filter op bestemming 50+ datasets Eigendomsdata in één klik Percelen CRM
4.430 m2 - 376 m
Eigenaar opvragen
RLO00-Y-219 (Ruurlo)
- 7261 LN
u9xw yANEr Id1QKP0LVejwi f6edRUpgrade naar KadastraleKaart Pro
Bekijk op Street View
Download DWG/DXF/Excel
Ec9MCnAC oPvas9kgjjUpgrade naar KadastraleKaart Pro
AhqEIg9mqxhiuieFRO11Upgrade naar KadastraleKaart Pro
gLxzTdyHUpgrade naar KadastraleKaart Pro
ZQOQVpvhjdq9pifa6H PbUpgrade naar KadastraleKaart Pro
7E753eDJ kfOuEK4Upgrade naar KadastraleKaart Pro
tNBaPRkC1uZX5kUpgrade naar KadastraleKaart Pro
HSKA46A6Upgrade naar KadastraleKaart Pro
a6L2LCIjnxx1V3HTGUpgrade naar KadastraleKaart Pro
tcsKjmqkhVhyT yAUpgrade naar KadastraleKaart Pro
6CiJpzGmhUpgrade naar KadastraleKaart Pro
03/06/2025

Percelen
Gebruik de zoekbalk of klik op een perceel om informatie over het perceel te bekijken.