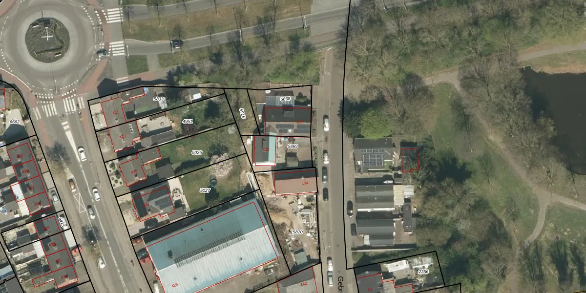
Perceel: RMD00-B-5869
250 m2 - 68 m
Eigenaar opvragen
RMD00-B-5869 (Roermond)
- 6044 XH
OdQ2Jzq XwTmE5tajXa dYUpgrade naar KadastraleKaart Pro
Verkoopprijs opvragen
Bekijk op Street View
Download DWG/DXF/Excel
avnn9vFzs9VKX0Q3tUpgrade naar KadastraleKaart Pro
VIF 3thdFYodofsUpgrade naar KadastraleKaart Pro
V68QKa83oUOUpgrade naar KadastraleKaart Pro
WcKmOviVDaw7OUpgrade naar KadastraleKaart Pro
c2Q7eulV 7Z5VIOt Upgrade naar KadastraleKaart Pro
4wCQdLd9yBv6m 5KPo7BUpgrade naar KadastraleKaart Pro
eVjtt4j798C1qMaix5lZRA Upgrade naar KadastraleKaart Pro
cTs0Xoicr2OZWUpgrade naar KadastraleKaart Pro
EESmGjfvx7JcURjUpgrade naar KadastraleKaart Pro
K1v1DEW8FwYsUpgrade naar KadastraleKaart Pro
03/05/2023

Percelen
Gebruik de zoekbalk of klik op een perceel om informatie over het perceel te bekijken.