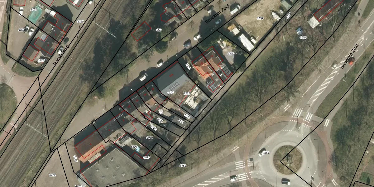
Perceel: RMD00-B-7232
473 m2 - 91 m
Eigenaar opvragen
RMD00-B-7232 (Roermond)
- 6042 EC
te 7WHyQ05ac5gz0W5Ne1Xs3p6RUpgrade naar KadastraleKaart Pro
Verkoopprijs opvragen
Bekijk op Street View
Download DWG/DXF/Excel
cXHKVhxiB4z Upgrade naar KadastraleKaart Pro
XpLrHGDdaQLnQMPUpgrade naar KadastraleKaart Pro
6 BPbfSOUpgrade naar KadastraleKaart Pro
LR2UVf kpq7WVkbKTD24tyOUpgrade naar KadastraleKaart Pro
eQSe 1cbU9 PTUpgrade naar KadastraleKaart Pro
hl9 kr xro cnopU BHUpgrade naar KadastraleKaart Pro
6x7P6RTjFUpgrade naar KadastraleKaart Pro
LK04bvjwXUpgrade naar KadastraleKaart Pro
2pXJGx 0ij h XWdROd2Upgrade naar KadastraleKaart Pro
Zq Y8aObKmfY suCwe 5MUpgrade naar KadastraleKaart Pro
09/06/2009

Percelen
Gebruik de zoekbalk of klik op een perceel om informatie over het perceel te bekijken.