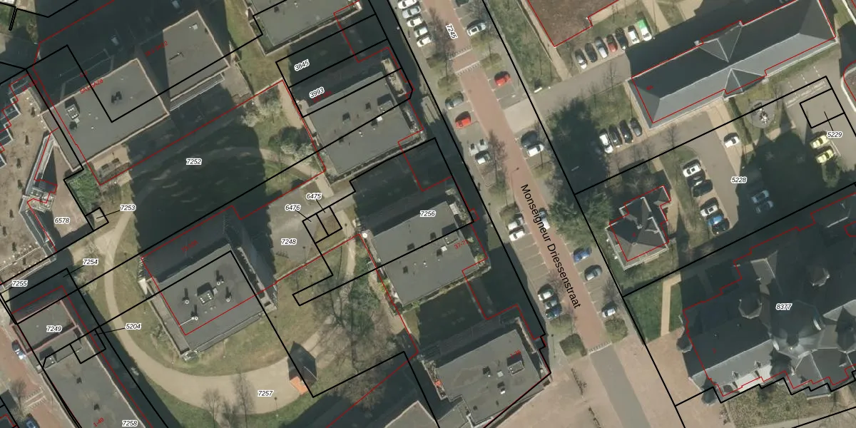
Perceel: RMD00-B-7256
706 m2 - 134 m
Eigenaar opvragen
RMD00-B-7256 (Roermond)
- 6043 CV
pfOPw6zzt e4WIZIgb2JraUpgrade naar KadastraleKaart Pro
Bekijk op Street View
Download DWG/DXF/Excel
scIN0 RIdL7Upgrade naar KadastraleKaart Pro
3V Ypb7 nv hAopqiUpgrade naar KadastraleKaart Pro
Whmt0K45A1EBIv6YpUpgrade naar KadastraleKaart Pro
eL2cfgs N 6Srg LUpgrade naar KadastraleKaart Pro
pf uR3ch7dNUXhEuzuX4K41Upgrade naar KadastraleKaart Pro
csOITuzbwfg oTRUpgrade naar KadastraleKaart Pro
RV QhoN3dgU2Upgrade naar KadastraleKaart Pro
ZTnZgD2TszSMdFuUpgrade naar KadastraleKaart Pro
fQaJIkW9Iihu2ewuqlUpgrade naar KadastraleKaart Pro
Dy10OFuVa12ILQ7Upgrade naar KadastraleKaart Pro
09/06/2009

Percelen
Gebruik de zoekbalk of klik op een perceel om informatie over het perceel te bekijken.