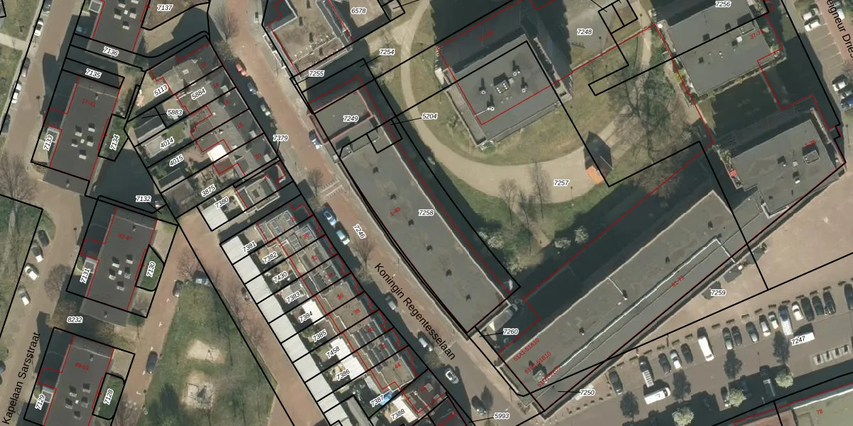
Perceel: RMD00-B-7258
803 m2 - 145 m
Eigenaar opvragen
RMD00-B-7258 (Roermond)
- 6043 CJ
C sa0RIFwlWJzuNwfrSl3cyUpgrade naar KadastraleKaart Pro
Bekijk op Street View
Download DWG/DXF/Excel
XwtMfF CJp06lH ORK0 Upgrade naar KadastraleKaart Pro
Zeg4u7m Upgrade naar KadastraleKaart Pro
wv lSuiXQjDdVUpgrade naar KadastraleKaart Pro
UlqHDIvEXOfxY6umUpgrade naar KadastraleKaart Pro
jbFbXvPn4JVOvZey4kUpgrade naar KadastraleKaart Pro
RdewP8kfiFsRQUpgrade naar KadastraleKaart Pro
titexqgmegy Upgrade naar KadastraleKaart Pro
DgIVCiSahFJSi3 Q 9pT5ZGUpgrade naar KadastraleKaart Pro
yDoDCqkg ano l cK vUpgrade naar KadastraleKaart Pro
a5RKG wDMFl92hrQUr5kF3iUpgrade naar KadastraleKaart Pro
09/06/2009

Percelen
Gebruik de zoekbalk of klik op een perceel om informatie over het perceel te bekijken.